Post Office Road, Bradford, West Yorkshire, BD2
By Dacre Son & Hartley
£ 170,000
Reviews
2 out of 5 stars
Dacre Son & Hartley says ..
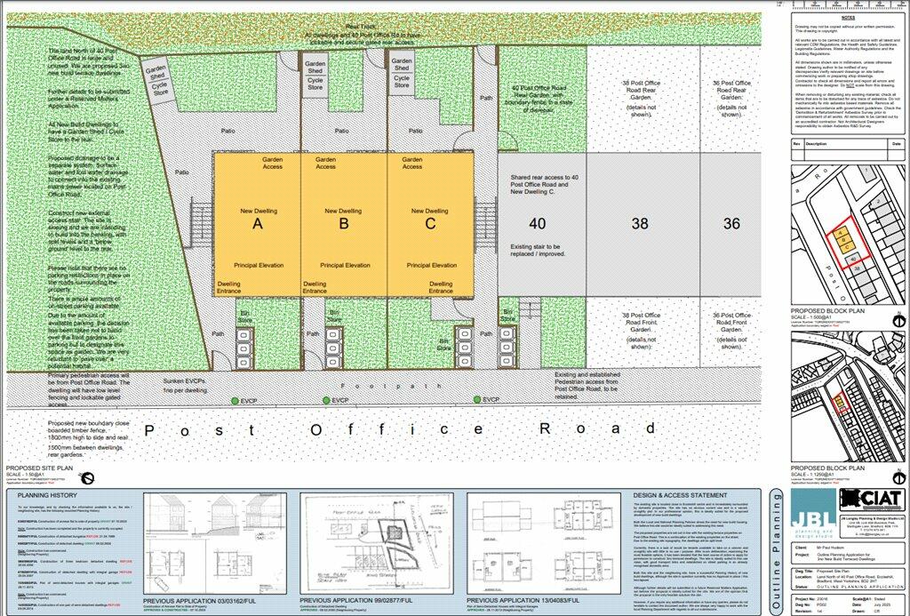
A superb opportunity for an investor or home builder looking for land for sale in a sought after area of Bradford with outline planning permission for three terraced dwellings with all matters reserved. 23/03164/OUT
Property Oracle says ..
This property listing is for a plot of land located on Post Office Road in Eccleshill, Bradford. The land has planning permission for the construction of three terraced dwellings. The lack of an existing structure means the property is suitable only for redevelopment. The site benefits from relatively close proximity to local schools and transport links, suggesting a potentially desirable location for new homes. However, the list price may appear high when considering solely the undeveloped plot, although it may be reflective of the development potential. To assess its true value, a detailed cost analysis of constructing the three proposed dwellings, factoring in materials, labor, and associated fees, should be undertaken. The lack of detailed sq ft data for other nearby properties makes a direct comparison challenging. Further local market research would be beneficial, focusing on similar plots with planning permission in the immediate vicinity, to determine the competitiveness of the listed price. In short, the property presents an opportunity for development but requires substantial investment and careful planning before it can generate returns.
Therefore, we give this property 5 / 10. *Disclaimer: This is our option and does constitute a recommendation or financial advice. Do your own research. *
- Price
- 6
- Condition
- 3
- Location
- 7
- Land
- 5
- Bedrooms
- 0
- Bathrooms
- 0
- Sqft (est)
- 2,512.30
The heatmap indicates the level of crime in the area. The color of the heatmap indicates the crime severity and recency.
Metrics Year-on-Year
- Average area value
- 856,250.00 £Increased by 15.74 %
- Est sale value
- 1,783,733.00 £Increased by 21.37 %
- Average area rental value
- 2,000.00 £/moDecreased by 15.25 %
- Est letting value
- 2,512.30 £/moUnchanged by 0.00 %
- Est rental Yield
- 2.80 %Decreased by 26.89 %
- Crime Rate
- 7.00 %Unchanged by 0.00 %
Agent Activity
Dacre Son & Hartley created the listing.
Nearby Schools
| Name | Type | Ofsted | Distance |
|---|---|---|---|
| Cavendish Primary School | Community School | Good | 0.57 KM |
| Our Lady And St Brendan'S Catholic Primary School, A Voluntary Academy | Academy Converter | 0.84 KM | |
| St Luke'S Cofe Primary School | Voluntary Controlled School | Good | 1.01 KM |
| Co-Op Academy Parkland | Academy Sponsor Led | 1.22 KM | |
| Parkland Children'S Centre | Children's Centre | 1.25 KM |
Images
Nearby Streets
| Name | Average Price | Average Sqft | Distance |
|---|---|---|---|
| Post Office Road | £ 130,000 | 0 | 0.00 KM |
| Lands Lane | £ 0 | 0 | 0.00 KM |
| Huxley Mount | £ 140,000 | 0 | 0.00 KM |
| Park Close | £ 165,000 | 0 | 0.00 KM |
| Hodgson Yard | £ 0 | 0 | 0.00 KM |
Nearby Transport
| Name | NLC | TLC | Distance |
|---|---|---|---|
| Apperley Bridge | 8562 | APY | 3.01 KM |
| Bradford Forster Square | 8346 | BDQ | 4.21 KM |
| Baildon | 8552 | BLD | 4.39 KM |
| Bradford Interchange | 8345 | BDI | 4.44 KM |
| Frizinghall | 8556 | FZH | 4.85 KM |
Nearby Listings
| Address | Price | Type | Score | Distance |
|---|---|---|---|---|
| Post Office Road, Bradford, West Yorkshire, BD2 | £ 170,000 | BUY | 5 / 10 | 0.00 KM |
| Post Office Road, Bradford, West Yorkshire, BD2 | £ 130,000 | BUY | 6 / 10 | 0.00 KM |
| Alexandra Road, Eccleshill, Bradford | £ 129,950 | BUY | Unknown | 0.05 KM |
| Alexandra Road, Eccleshill | £ 165,000 | BUY | 6 / 10 | 0.07 KM |
| Alexandra Road, Eccleshill, Bradford, BD2 | £ 120,000 | BUY | 5 / 10 | 0.09 KM |
Nearby Properties
| Address | Price | Distance |
|---|---|---|
| 4 Victoria Road | £ 121,500 | 0.06 KM |
| 34 Post Office Road | £ 106,000 | 0.07 KM |
| 26 Post Office Road | £ 162,000 | 0.07 KM |
| 38 Post Office Road | £ 66,000 | 0.07 KM |
| 30 Post Office Road | £ 64,000 | 0.07 KM |