Nursery Road, Glyncorrwg, Port Talbot
By Ferriers Estate Agents
£ 110,000
Reviews
2 out of 5 stars
Ferriers Estate Agents says ..
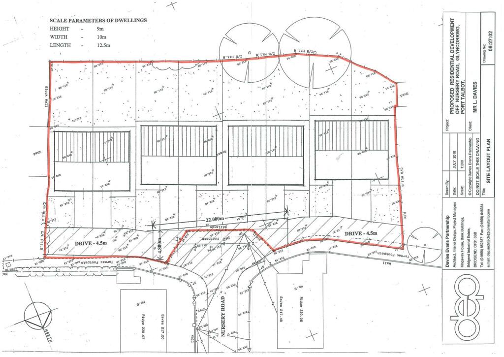
**ATTENTION INVESTORS** Here is a Fantastic Opportunity to Purchase a Level Building Plot with Planning Permission to Build Eight Semi Detached Properties. Located in a Popular Village at the Head of the the Picturesque Afan Valley, a Favourite amongst Thrill Seekers and Lovers of Outdoor Pur...
Property Oracle says ..
This property listing in Glyncorrwg, Port Talbot, is not a house for sale, but a development opportunity. It presents a parcel of land with approved planning permission for the construction of eight semi-detached houses. The location in Glyncorrwg offers a tranquil setting in the Afan Valley, a region known for its outdoor recreational opportunities such as cycling and hiking trails within Afan Forest Park. The proximity to Glyncorrwg Primary School could make this an attractive prospect for families. However, those seeking a quick move-in ready solution should take note. The location is rather remote from main urban areas. Neighbouring properties on Waun Avenue provide a glimpse into the types of homes that could be built. Prices range from £65,000 to £135,000, providing a context for the potential value of the finished development. While the lack of specific details on square footage and plot size leaves room for some uncertainty in terms of exact valuation, the listing price of £110,000 appears sensible given the current market and the potential for developing eight homes. Investors or developers may see this as a promising venture, given the planning permission already secured.
Therefore, we give this property 5 / 10. *Disclaimer: This is our option and does constitute a recommendation or financial advice. Do your own research. *
- Price
- 7
- Condition
- 1
- Location
- 7
- Land
- 8
- Bedrooms
- 0
- Bathrooms
- 0
The heatmap indicates the level of crime in the area. The color of the heatmap indicates the crime severity and recency.
Metrics Year-on-Year
- Average area value
- 406,364.00 £Increased by 51.98 %
- Average area rental value
- 1,294.00 £/moIncreased by 17.32 %
- Est rental Yield
- 3.82 %Decreased by 22.83 %
- Crime Rate
- 467.00 %Unchanged by 0.00 %
Agent Activity
Ferriers Estate Agents created the listing.
Nearby Schools
| Name | Type | Ofsted | Distance |
|---|---|---|---|
| Glyncorrwg Primary School | Welsh Establishment | 0.27 KM | |
| Tarren School | Welsh Establishment | 3.67 KM | |
| Croeserw Primary School | Welsh Establishment | 3.69 KM | |
| Cymer Afan Primary School | Welsh Establishment | 3.96 KM | |
| Blaengwrach Primary School | Welsh Establishment | 6.37 KM |
Images
Nearby Streets
| Name | Average Price | Average Sqft | Distance |
|---|---|---|---|
| Bridge Street | £ 0 | 0 | 0.00 KM |
| Commercial Street | £ 145,000 | 0 | 0.00 KM |
| Woodland Road | £ 150,000 | 0 | 0.00 KM |
Nearby Transport
| Name | NLC | TLC | Distance |
|---|---|---|---|
| Maesteg | 3963 | MST | 8.05 KM |
| Maesteg (Ewenny Road) | 3962 | MEW | 8.34 KM |
| Garth (Bridgend County) | 3961 | GMG | 9.14 KM |
Nearby Listings
| Address | Price | Type | Score | Distance |
|---|---|---|---|---|
| Nursery Road, Glyncorrwg, Port Talbot | £ 110,000 | BUY | 5 / 10 | 0.00 KM |
| Waun Avenue, Glyncorrwg, Port Talbot, Neath Port Talbot | £ 137,500 | BUY | 7 / 10 | 0.03 KM |
| Waun Avenue, Glyncorrwg, Port Talbot, Neath Port Talbot. SA13 3DP | £ 153,000 | BUY | 6 / 10 | 0.03 KM |
| Waun Avenue, Glyncorrwg, Port Talbot, SA13 | £ 145,000 | BUY | 6 / 10 | 0.03 KM |
| Park Street, Port Talbot, SA13 3DS | £ 160,000 | BUY | 6 / 10 | 0.11 KM |
Nearby Properties
| Address | Price | Distance |
|---|---|---|
| 9 Waun Avenue | £ 135,000 | 0.02 KM |
| 1 Waun Avenue | £ 68,000 | 0.02 KM |
| 15 Waun Avenue | £ 80,000 | 0.02 KM |
| 6 Waun Avenue | £ 70,000 | 0.02 KM |
| 13 Nursery Road | £ 65,000 | 0.06 KM |