AU
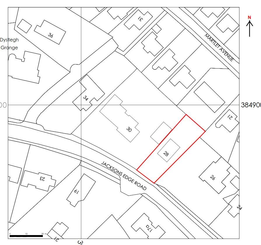
Building Plot 28 Jacksons Edge Road, Disley, Stockport, Greater Manchester SK12 2JL
By Auction House North West
£ 350,000
Reviews
3 out of 5 stars
Auction House North West says ..
Online auction 15th - 16th July 2025
Property Oracle says ..
Therefore, we give this property 7 / 10. *Disclaimer: This is our option and does constitute a recommendation or financial advice. Do your own research. *
- Price
- 7
- Condition
- 0
- Location
- 8
- Land
- 7
- Bedrooms
- 0
- Bathrooms
- 0
The heatmap indicates the level of crime in the area. The color of the heatmap indicates the crime severity and recency.
Metrics Year-on-Year
- Average area value
- 561,250.00 £Increased by 25.62 %
- Average area rental value
- 1,544.00 £/moDecreased by 4.34 %
- Est rental Yield
- 3.30 %Decreased by 23.79 %
- Crime Rate
- 9.00 %Unchanged by 0.00 %
from 446,794.00 £
from 1,614.00 £/mo
from 4.33 %
from 9.00 %
Agent Activity
Auction House North West created the listing.
Nearby Schools
| Name | Type | Ofsted | Distance |
|---|---|---|---|
| Disley Primary School | Academy Converter | 0.73 KM | |
| Hague Bar Primary School | Academy Converter | 1.78 KM | |
| Brookside Primary School | Community School | Good | 2.97 KM |
| High Lane Primary School | Community School | Good | 3.02 KM |
| Windlehurst School | Community Special School | Good | 3.07 KM |
Images
Nearby Streets
| Name | Average Price | Average Sqft | Distance |
|---|---|---|---|
| Turf Lea Lift Bridge | £ 625,000 | 0 | 0.00 KM |
| The Moorings | £ 0 | 0 | 0.00 KM |
| Coppice Close | £ 595,000 | 0 | 0.00 KM |
| Hillside Close | £ 0 | 0 | 0.00 KM |
| Hawthorn Close | £ 650,000 | 0 | 0.00 KM |
Nearby Transport
| Name | NLC | TLC | Distance |
|---|---|---|---|
| Disley | 2765 | DSL | 0.29 KM |
| Strines | 2834 | SRN | 1.86 KM |
| New Mills Newtown | 2769 | NMN | 3.79 KM |
| New Mills Central | 2974 | NMC | 4.13 KM |
| Middlewood | 2971 | MDL | 4.49 KM |
Nearby Listings
| Address | Price | Type | Score | Distance |
|---|---|---|---|---|
| Building Plot 28 Jacksons Edge Road, Disley, Stockport, Greater Manchester SK12 2JL | £ 350,000 | BUY | 7 / 10 | 0.00 KM |
| Jacksons Edge Road, Disley, Stockport | £ 635,000 | BUY | 7 / 10 | 0.02 KM |
| Martlet Avenue, Disley, Stockport | £ 550,000 | BUY | 8 / 10 | 0.04 KM |
| Martlet Avenue, Disley, Stockport | £ 550,000 | BUY | 7 / 10 | 0.11 KM |
| Leafield Road, Disley, Stockport, Cheshire, SK12 | £ 650,000 | BUY | 7 / 10 | 0.25 KM |
Nearby Properties
| Address | Price | Distance |
|---|---|---|
| 23 Jacksons Edge Road | £ 473,000 | 0.04 KM |
| 22 Jacksons Edge Road | £ 587,000 | 0.04 KM |
| 39 Martlet Avenue | £ 303,000 | 0.10 KM |
| 37 Martlet Avenue | £ 325,000 | 0.10 KM |
| 14 Martlet Avenue | £ 225,000 | 0.10 KM |