harveyrobinson says ..
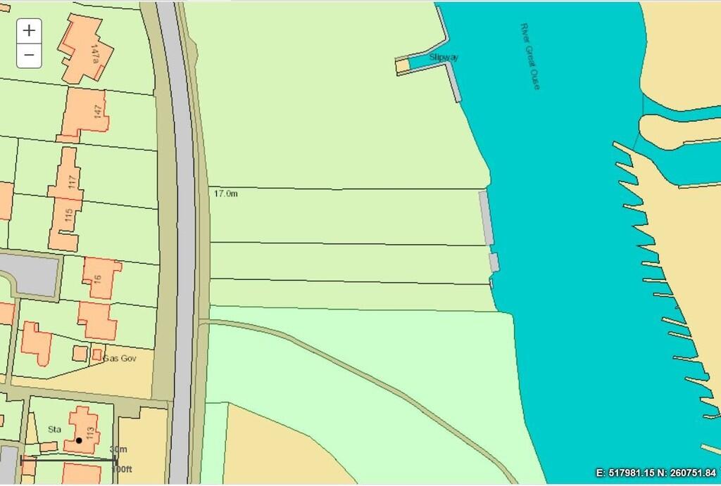
Harvey Robinson estate agents are delighted to be marketing this rarely available PLOT OF LEISURE LAND on the sought-after Crosshall Road next to Regatta Meadows, and close to all the amenities of St Neots Town Centre. Benefiting from RIVER FRONTAGE, a mooring/jetty plus a launching ramp on to ...
Property Oracle says ..
Therefore, we give this property 7 / 10. *Disclaimer: This is our option and does constitute a recommendation or financial advice. Do your own research. *
- Price
- 8
- Condition
- 8
- Location
- 7
- Land
- 8
- Bedrooms
- 0
- Bathrooms
- 0
- Lot (est)
- 17.00
The heatmap indicates the level of crime in the area. The color of the heatmap indicates the crime severity and recency.
Metrics Year-on-Year
- Average area value
- 352,500.00 £Decreased by 5.84 %
- Average area rental value
- 1,359.00 £/moIncreased by 22.76 %
- Est rental Yield
- 4.63 %Increased by 30.42 %
- Crime Rate
- 2.00 %Unchanged by 0.00 %
from 374,382.00 £
from 1,107.00 £/mo
from 3.55 %
from 2.00 %
Agent Activity
harveyrobinson created the listing.
Nearby Schools
| Name | Type | Ofsted | Distance |
|---|---|---|---|
| Crosshall Infant School Academy | Academy Converter | 0.77 KM | |
| Crosshall Junior School | Academy Converter | Good | 0.77 KM |
| Eynesbury Cofe C Primary School | Voluntary Controlled School | Good | 1.04 KM |
| Priory Park Infant School & Playgroup | Community School | Good | 1.67 KM |
| Riverside Meadows Academy | Academy Special Sponsor Led | Good | 1.67 KM |
Images
Nearby Streets
| Name | Average Price | Average Sqft | Distance |
|---|---|---|---|
| National Cycle Route 12 | £ 247,500 | 0 | 0.00 KM |
| St Neots Road | £ 265,000 | 0 | 0.00 KM |
| Ford Close | £ 0 | 0 | 0.00 KM |
| Hawthorn Road | £ 0 | 0 | 0.00 KM |
| B645 | £ 0 | 0 | 0.00 KM |
Nearby Transport
| Name | NLC | TLC | Distance |
|---|---|---|---|
| St Neots | 6110 | SNO | 3.16 KM |
Nearby Listings
| Address | Price | Type | Score | Distance |
|---|---|---|---|---|
| Crosshall Road, Eaton Ford | £ 60,000 | BUY | 7 / 10 | 0.00 KM |
| Crosshall Road, Eaton Ford, St. Neots, Cambridgeshire, PE19 | £ 250,000 | BUY | 7 / 10 | 0.14 KM |
| Crosshall Road, Eaton Ford, St. Neots, PE19 | £ 230,000 | BUY | 5 / 10 | 0.14 KM |
| Crosshall Road, Eaton Ford, St. Neots, PE19 | £ 280,000 | BUY | 5 / 10 | 0.14 KM |
| Crosshall Road, Eaton Ford, St. Neots, Cambridgeshire, PE19 | £ 170,000 | BUY | 6 / 10 | 0.14 KM |
Nearby Properties
| Address | Price | Distance |
|---|---|---|
| 3 Stevenson Court | £ 575,000 | 0.15 KM |
| 14 Stevenson Court | £ 283,000 | 0.15 KM |
| 4 Stevenson Court | £ 317,000 | 0.15 KM |
| 11 Stevenson Court | £ 480,000 | 0.15 KM |
| 5 Stevenson Court | £ 410,000 | 0.15 KM |