Hawton Lane, New Balderton, Newark
By Richard Watkinson & Partners
£ 100,000
Reviews
3 out of 5 stars
Richard Watkinson & Partners says ..
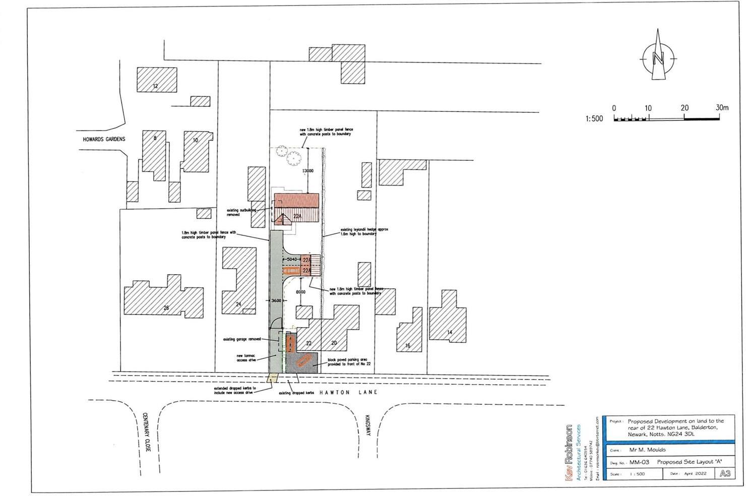
An individual building plot with outline planning permission for a self-build detached three bedroomed bungalow. The site area is 655 sq.m (0.16 acre) or thereabouts. The proposed bungalow has an estimated internal area of 102 sq.m (1100 sq.ft) approximately.
Property Oracle says ..
This is a plot of land in Balderton South, Newark. The listing price is £100,000. The land requires significant renovation. The location is near schools and transport links.
Therefore, we give this property 6 / 10. *Disclaimer: This is our option and does constitute a recommendation or financial advice. Do your own research. *
- Price
- 9
- Condition
- 1
- Location
- 7
- Land
- 8
- Bedrooms
- 0
- Bathrooms
- 0
The heatmap indicates the level of crime in the area. The color of the heatmap indicates the crime severity and recency.
Metrics Year-on-Year
- Average area value
- 204,238.00 £Decreased by 16.00 %
- Average area rental value
- 1,100.00 £/moIncreased by 20.22 %
- Est rental Yield
- 6.46 %Increased by 42.92 %
- Crime Rate
- 15.00 %Unchanged by 0.00 %
Agent Activity
Richard Watkinson & Partners created the listing.
Nearby Schools
| Name | Type | Ofsted | Distance |
|---|---|---|---|
| John Hunt Academy | Academy Converter | 0.25 KM | |
| The Newark Academy | Academy Sponsor Led | Good | 0.68 KM |
| Newark Orchard School | Community Special School | Good | 0.79 KM |
| Highfields School | Other Independent School | 1.15 KM | |
| Chuter Ede Primary School | Community School | Outstanding | 1.20 KM |
Images
Nearby Streets
| Name | Average Price | Average Sqft | Distance |
|---|---|---|---|
| Howard's Gardens | £ 0 | 0 | 0.00 KM |
| Alder Close | £ 0 | 0 | 0.00 KM |
| Belvoir Place | £ 0 | 0 | 0.00 KM |
| Oak Drive | £ 230,000 | 0 | 0.00 KM |
| Wesley Close | £ 485,000 | 0 | 0.00 KM |
Nearby Transport
| Name | NLC | TLC | Distance |
|---|---|---|---|
| Newark North Gate | 6499 | NNG | 3.09 KM |
| Newark Castle | 6498 | NCT | 3.82 KM |
Nearby Listings
| Address | Price | Type | Score | Distance |
|---|---|---|---|---|
| Hawton Lane, New Balderton, Newark | £ 100,000 | BUY | 6 / 10 | 0.00 KM |
| Howards Gardens, New Balderton, Newark | £ 230,000 | BUY | 7 / 10 | 0.09 KM |
| Hawton Lane, Balderton, Newark, Nottinghamshire. | £ 330,000 | BUY | 7 / 10 | 0.10 KM |
| Howards Gardens, Balderton, Newark | £ 335,000 | BUY | 7 / 10 | 0.10 KM |
| Howards Gardens, Balderton | £ 230,000 | BUY | 7 / 10 | 0.11 KM |
Nearby Properties
| Address | Price | Distance |
|---|---|---|
| 6 Hawton Lane | £ 170,000 | 0.04 KM |
| 10 Hawton Lane | £ 125,000 | 0.04 KM |
| 46 Hawton Lane | £ 125,000 | 0.04 KM |
| 30 Hawton Lane | £ 195,000 | 0.04 KM |
| 40 Hawton Lane | £ 215,000 | 0.04 KM |