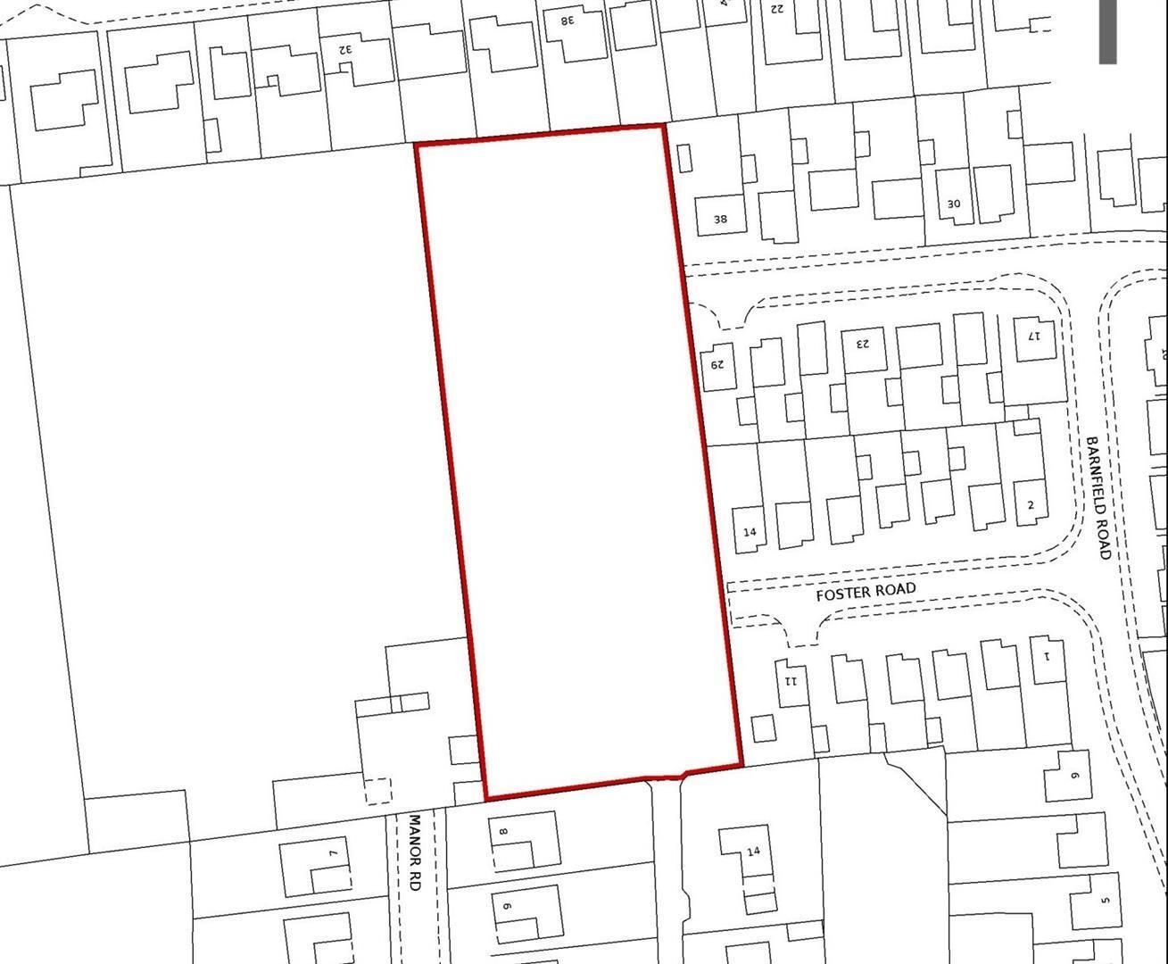
West of Foster Road, Collingham, Newark
By Richard Watkinson & Partners
£ 80,000
Reviews
2 out of 5 stars
Richard Watkinson & Partners says ..
A grass field extending to 0.62 hectare (1.544 acre) or thereabouts. Centrally situated in the village of Collingham. The land has access via a pedestrian gate and public footpath at the Fosters Road cul-de-sac.
Property Oracle says ..
The property is a plot of farm land located in Collingham, Nottinghamshire. The land appears to be overgrown and is in need of significant work. Collingham is a village with a train station and a primary school. The list price of the land is £80,000, which is significantly below the average property price in the area.
Therefore, we give this property 5 / 10. *Disclaimer: This is our option and does constitute a recommendation or financial advice. Do your own research. *
- Price
- 9
- Condition
- 1
- Location
- 6
- Land
- 7
- Bedrooms
- 0
- Bathrooms
- 0
The heatmap indicates the level of crime in the area. The color of the heatmap indicates the crime severity and recency.
Metrics Year-on-Year
- Average area value
- 387,500.00 £Increased by 14.36 %
- Average area rental value
- 925.00 £/moIncreased by 16.35 %
- Est rental Yield
- 2.86 %Increased by 1.42 %
- Crime Rate
- 12.00 %Unchanged by 0.00 %
Agent Activity
Richard Watkinson & Partners created the listing.
Nearby Schools
| Name | Type | Ofsted | Distance |
|---|---|---|---|
| John Blow Primary School | Community School | Good | 0.36 KM |
| North Scarle Primary School | Community School | Good | 5.32 KM |
| Kisimul School | Other Independent Special School | Good | 5.67 KM |
| Winthorpe Primary School | Academy Converter | 5.76 KM | |
| Swinderby All Saints Church Of England Primary School | Voluntary Controlled School | Good | 5.84 KM |
Images
Nearby Streets
| Name | Average Price | Average Sqft | Distance |
|---|---|---|---|
| Foster Road | £ 0 | 0 | 0.00 KM |
| Barnfield Road | £ 0 | 0 | 0.00 KM |
| Pasture Grove | £ 0 | 0 | 0.00 KM |
| Harrow Close | £ 0 | 0 | 0.00 KM |
| Rue De L'Yonne | £ 275,000 | 0 | 0.00 KM |
Nearby Transport
| Name | NLC | TLC | Distance |
|---|---|---|---|
| Collingham | 6349 | CLM | 0.67 KM |
| Swinderby | 6355 | SWD | 6.03 KM |
| Newark North Gate | 6499 | NNG | 9.12 KM |
Nearby Listings
| Address | Price | Type | Score | Distance |
|---|---|---|---|---|
| West of Foster Road, Collingham, Newark | £ 80,000 | BUY | 5 / 10 | 0.00 KM |
| Barnfield Road, Collingham, Newark, Nottinghamshire, NG23 7SN | £ 260,000 | BUY | 7 / 10 | 0.11 KM |
| Beaufields House, Collingham, Newark | £ 235,000 | BUY | 6 / 10 | 0.13 KM |
| Swinderby Road, Collingham, Newark | £ 350,000 | BUY | 6 / 10 | 0.13 KM |
| Swinderby Road, Collingham, Newark | £ 375,000 | BUY | 7 / 10 | 0.15 KM |
Nearby Properties
| Address | Price | Distance |
|---|---|---|
| 4 Foster Road | £ 69,000 | 0.02 KM |
| 1 Foster Road | £ 197,000 | 0.02 KM |
| 12 Peterborough Road | £ 225,000 | 0.12 KM |
| 10 Peterborough Road | £ 60,000 | 0.12 KM |
| 11 Peterborough Road | £ 190,000 | 0.12 KM |