Eastbourne Road, Darlington, County Durham, DL1
By Hanafin Estates
£ 85,000
Reviews
3 out of 5 stars
Hanafin Estates says ..
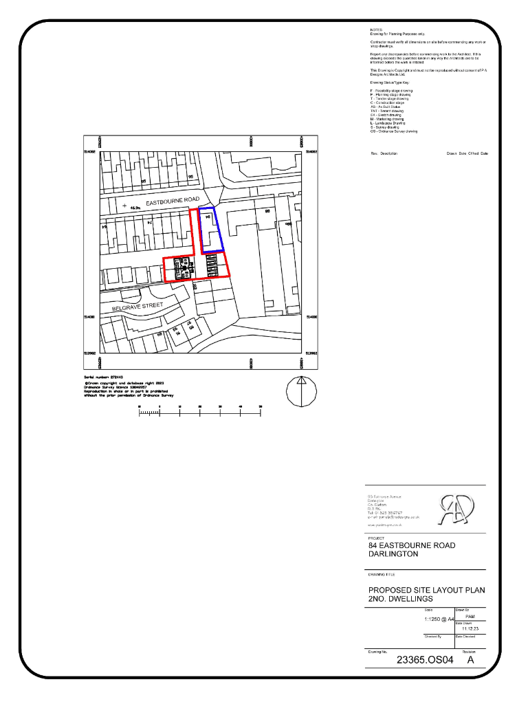
Are you a developer or builder looking for an opportunity? This could be for you! Land with the potential for 2 semi-detached houses subject to planning available for sale.
Property Oracle says ..
This listing presents a unique opportunity for developers or investors. The property is a large plot of land located on Eastbourne Road in Darlington, County Durham. The significant plot size (21,527.82 sq ft) offers potential for substantial development, with plans indicating the possibility of constructing two semi-detached houses (subject to planning permission). The location offers relative proximity to Darlington town centre and transport links, though the immediate surroundings appear to be a mix of residential and potentially less desirable areas based on neighbouring property prices. The current state of the land is overgrown, requiring significant preparation and landscaping before any development can begin. The asking price of £85,000 reflects the development potential of the land, rather than its current state. It’s essential to conduct thorough due diligence, including obtaining all necessary planning permissions and undertaking a comprehensive site survey, before committing to purchasing this property. The lack of existing buildings reduces the immediate risks, while also meaning that all building costs should be factored into the overall assessment. The absence of key details such as the specifics of any granted planning permission makes it prudent to thoroughly investigate any associated costs before investing. This property is therefore suitable for an investor or developer who can tolerate risk and appreciates the potential reward of developing a previously undeveloped plot of land.
Therefore, we give this property 6 / 10. *Disclaimer: This is our option and does constitute a recommendation or financial advice. Do your own research. *
- Price
- 7
- Condition
- 4
- Location
- 6
- Land
- 7
- Bedrooms
- 0
- Bathrooms
- 0
- Sqft (est)
- 10,763.91
- Lot (est)
- 21,527.82
The heatmap indicates the level of crime in the area. The color of the heatmap indicates the crime severity and recency.
Metrics Year-on-Year
- Average area value
- 108,333.00 £Increased by 3.38 %
- Est sale value
- 1,959,031.62 £Increased by 50.41 %
- Average area rental value
- 668.00 £/moIncreased by 0.75 %
- Est letting value
- 10,763.91 £/mo
- Est rental Yield
- 7.40 %Decreased by 2.50 %
- Crime Rate
- 6.00 %Unchanged by 0.00 %
Agent Activity
Hanafin Estates created the listing.
Nearby Schools
| Name | Type | Ofsted | Distance |
|---|---|---|---|
| Dodmire Children'S Centre | Children's Centre | 0.42 KM | |
| The Rydal Academy | Academy Sponsor Led | Good | 0.42 KM |
| St John'S Church Of England Academy | Academy Converter | 0.69 KM | |
| St Aidan'S Church Of England Academy | Academy Sponsor Led | Good | 0.72 KM |
| St Teresa'S Catholic Primary School | Academy Converter | 1.16 KM |
Images
Nearby Streets
| Name | Average Price | Average Sqft | Distance |
|---|---|---|---|
| Rennie Close | £ 0 | 0 | 0.00 KM |
| Elliott Court | £ 0 | 0 | 0.00 KM |
| The Fairway | £ 240,000 | 0 | 0.00 KM |
| The Fairway | £ 0 | 0 | 0.00 KM |
| Kingfisher Way | £ 220,000 | 0 | 0.00 KM |
Nearby Transport
| Name | NLC | TLC | Distance |
|---|---|---|---|
| Darlington | 7877 | DAR | 1.16 KM |
| North Road (Darlington) | 7895 | NRD | 2.55 KM |
| Dinsdale | 7897 | DND | 7.74 KM |
| Heighington | 7887 | HEI | 9.82 KM |
Nearby Listings
| Address | Price | Type | Score | Distance |
|---|---|---|---|---|
| Eastbourne Road, Darlington, County Durham, DL1 | £ 85,000 | BUY | 6 / 10 | 0.00 KM |
| Eastbourne Road, Darlington | £ 285,000 | BUY | 7 / 10 | 0.03 KM |
| Bright Street, Darlington | £ 110,000 | BUY | 6 / 10 | 0.21 KM |
| Ridsdale Street, Darlington | £ 78,000 | BUY | 6 / 10 | 0.23 KM |
| Ridsdale Street, Darlington | £ 58,500 | BUY | 5 / 10 | 0.23 KM |
Nearby Properties
| Address | Price | Distance |
|---|---|---|
| 118 Eastbourne Road | £ 137,000 | 0.00 KM |
| 114 Eastbourne Road | £ 158,400 | 0.00 KM |
| 119 Eastbourne Road | £ 92,000 | 0.00 KM |
| 100 Eastbourne Road | £ 49,000 | 0.00 KM |
| 108 Eastbourne Road | £ 144,000 | 0.00 KM |