Robartes Road, Bodmin, Cornwall, PL31
By Stratton Creber
£ 72,000
Reviews
2 out of 5 stars
Stratton Creber says ..
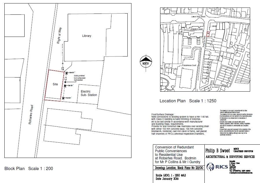
A fantastic opportunity for builders, investors, and those with a vision to create a unique home! This property was the former public conveniences and is currently halted in its conversion but comes with full planning permission for residential use—approval details can be easily verified vi...
Property Oracle says ..
This property is a plot of land located in Bodmin, Cornwall. The land is situated on Robartes Road, close to several amenities including schools and transport links. The asking price is £72,000. Given the images provided, the property appears to be in need of significant renovation. The building is dilapidated, with a damaged roof and exposed brickwork. The presence of temporary fencing suggests ongoing work or a lack of immediate habitability. The external walls show signs of deterioration. The small plot of land offers limited space. The location is positive, with nearby schools receiving good Ofsted ratings and train stations within reasonable commuting distance. However, the lack of detailed information regarding the plot’s size and exact potential use makes it difficult to fully assess the land’s value. The price of £72,000 for a plot of land requiring extensive renovation is potentially reasonable, considering the average house prices in the area are significantly higher. However, without knowing the size of the plot and the potential buildable area, it is hard to definitively comment on the value for money. More information is needed to accurately assess the price.
Therefore, we give this property 4 / 10. *Disclaimer: This is our option and does constitute a recommendation or financial advice. Do your own research. *
- Price
- 5
- Condition
- 3
- Location
- 7
- Land
- 3
- Bedrooms
- 0
- Bathrooms
- 0
The heatmap indicates the level of crime in the area. The color of the heatmap indicates the crime severity and recency.
Metrics Year-on-Year
- Average area value
- 148,750.00 £Decreased by 17.27 %
- Average area rental value
- 888.00 £/moIncreased by 36.83 %
- Est rental Yield
- 7.16 %Increased by 65.36 %
- Crime Rate
- 24.00 %Unchanged by 0.00 %
Agent Activity
Stratton Creber created the listing.
Nearby Schools
| Name | Type | Ofsted | Distance |
|---|---|---|---|
| Beacon Ace Academy | Academy Converter | Good | 0.11 KM |
| The Chestnuts Centre | Children's Centre | 0.27 KM | |
| Berryfields Community & Children'S Centre | Children's Centre Linked Site | 0.54 KM | |
| North Cornwall Alternative Provision Academy | Academy Alternative Provision Converter | Good | 0.58 KM |
| St Mary'S Catholic Primary School, Bodmin | Academy Converter | Good | 0.73 KM |
Images
Nearby Streets
| Name | Average Price | Average Sqft | Distance |
|---|---|---|---|
| Fore Street | £ 222,475 | 0 | 0.00 KM |
| Chapel Lane | £ 0 | 0 | 0.00 KM |
| Mill Street | £ 0 | 0 | 0.00 KM |
| Berry Lane | £ 0 | 0 | 0.00 KM |
| Furze Hill | £ 170,000 | 0 | 0.00 KM |
Nearby Transport
| Name | NLC | TLC | Distance |
|---|---|---|---|
| Bodmin Parkway | 3501 | BOD | 7.38 KM |
| Luxulyan | 3518 | LUX | 9.27 KM |
| Lostwithiel | 3517 | LOS | 9.59 KM |
Nearby Listings
| Address | Price | Type | Score | Distance |
|---|---|---|---|---|
| 9 Robartes Road, Bodmin, PL31 1JG | £ 250,000 | BUY | 7 / 10 | 0.00 KM |
| Robartes Road, Bodmin, Cornwall, PL31 | £ 72,000 | BUY | 4 / 10 | 0.00 KM |
| Robartes Road, Bodmin, Cornwall, PL31 | £ 140,000 | BUY | 6 / 10 | 0.00 KM |
| 23 Robartes Road, PL31 1JG Bodmin, Cornwall | £ 200,000 | BUY | 6 / 10 | 0.09 KM |
| Flat 9 Richards Court, 8 Lower Bore Street, Bodmin | £ 70,000 | BUY | Unknown | 0.10 KM |
Nearby Properties
| Address | Price | Distance |
|---|---|---|
| Chykensa | £ 120,000 | 0.00 KM |
| 11a Robartes Road | £ 85,000 | 0.00 KM |
| 7 Robartes Road | £ 115,000 | 0.00 KM |
| Barrinda | £ 116,500 | 0.00 KM |
| 11 Robartes Road | £ 28,000 | 0.00 KM |