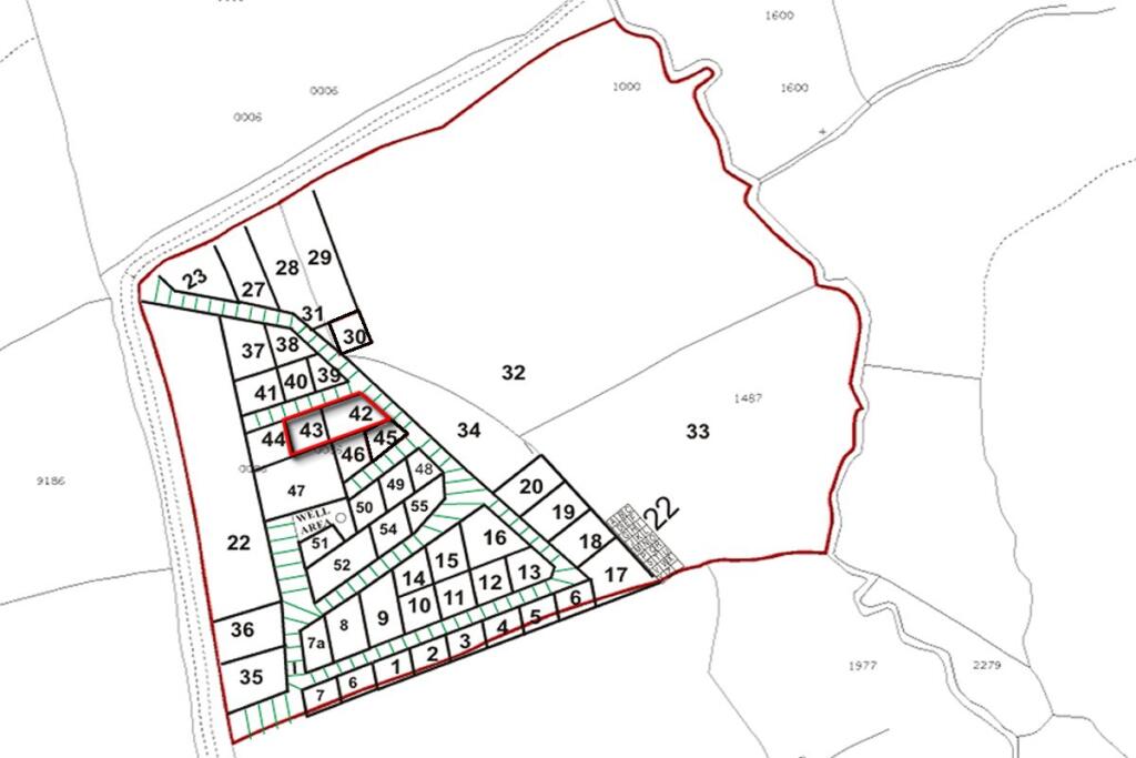
, 2 x Plots in Cookbury, Devon, EX227AW
By Future Property Auctions
£ 3,000
Reviews
3 out of 5 stars
Future Property Auctions says ..
** Timed Online Auction - 26 June 2025 ** EXCELLENT opportunity to purchase 2x plots in peaceful countryside location in Cookbury, Devon..
Property Oracle says ..
Two plots of land in Cookbury, Devon. The land is undeveloped. The location is rural and close to the coast. The listing price seems reasonable.
Therefore, we give this property 7 / 10. *Disclaimer: This is our option and does constitute a recommendation or financial advice. Do your own research. *
- Price
- 9
- Condition
- 0
- Location
- 6
- Land
- 7
- Bedrooms
- 0
- Bathrooms
- 0
The heatmap indicates the level of crime in the area. The color of the heatmap indicates the crime severity and recency.
Metrics Year-on-Year
- Average area value
- 434,165.00 £Increased by 5.81 %
- Average area rental value
- 1,103.00 £/moIncreased by 21.21 %
- Est rental Yield
- 3.05 %Increased by 14.66 %
- Crime Rate
- 305.00 %Unchanged by 0.00 %
from 410,315.00 £
from 910.00 £/mo
from 2.66 %
from 305.00 %
Agent Activity
Future Property Auctions created the listing.
Nearby Schools
| Name | Type | Ofsted | Distance |
|---|---|---|---|
| Bradford Primary School | Academy Converter | 1.50 KM | |
| Shebbear Community School | Community School | Good | 3.93 KM |
| Shebbear College | Other Independent School | 5.09 KM | |
| Black Torrington Church Of England Primary School | Academy Converter | 7.17 KM | |
| Halwill Community Primary School | Community School | Good | 8.55 KM |
Images
Nearby Streets
| Name | Average Price | Average Sqft | Distance |
|---|---|---|---|
| Bason Cross | £ 0 | 0 | 0.00 KM |
| Adelaide Cottages | £ 0 | 0 | 0.00 KM |
| Rose Cottages | £ 0 | 0 | 0.00 KM |
| Fore Street | £ 0 | 0 | 0.00 KM |
| The Elms | £ 515,000 | 0 | 0.00 KM |
Nearby Listings
| Address | Price | Type | Score | Distance |
|---|---|---|---|---|
| , Plot 107-110, Cookbury, Devon, EX227AW | £ 26,000 | BUY | 5 / 10 | 0.00 KM |
| , Land at Bradford, Cookbury, Devon, EX227AW | £ 3,000 | BUY | 5 / 10 | 0.00 KM |
| , 2 x Plots in Cookbury, Devon, EX227AW | £ 3,000 | BUY | 7 / 10 | 0.00 KM |
| , Plot 100, Cookbury, Devon, EX227AW | £ 8,000 | BUY | 5 / 10 | 0.00 KM |
| Bradford, Holsworthy | £ 550,000 | BUY | Unknown | 1.25 KM |
Nearby Properties
| Address | Price | Distance |
|---|---|---|
| Tree Cottage | £ 119,950 | 1.60 KM |
| Anmore Cottage | £ 96,000 | 1.60 KM |
| The Cottage | £ 164,000 | 1.61 KM |
| Owl Cottage | £ 355,000 | 1.62 KM |
| Thatched Cottage | £ 315,000 | 1.62 KM |