Plot 5 Land At Wakefield Road, Copley
By Property @ Kemp and Co
£ 150,000
Reviews
2 out of 5 stars
Property @ Kemp and Co says ..
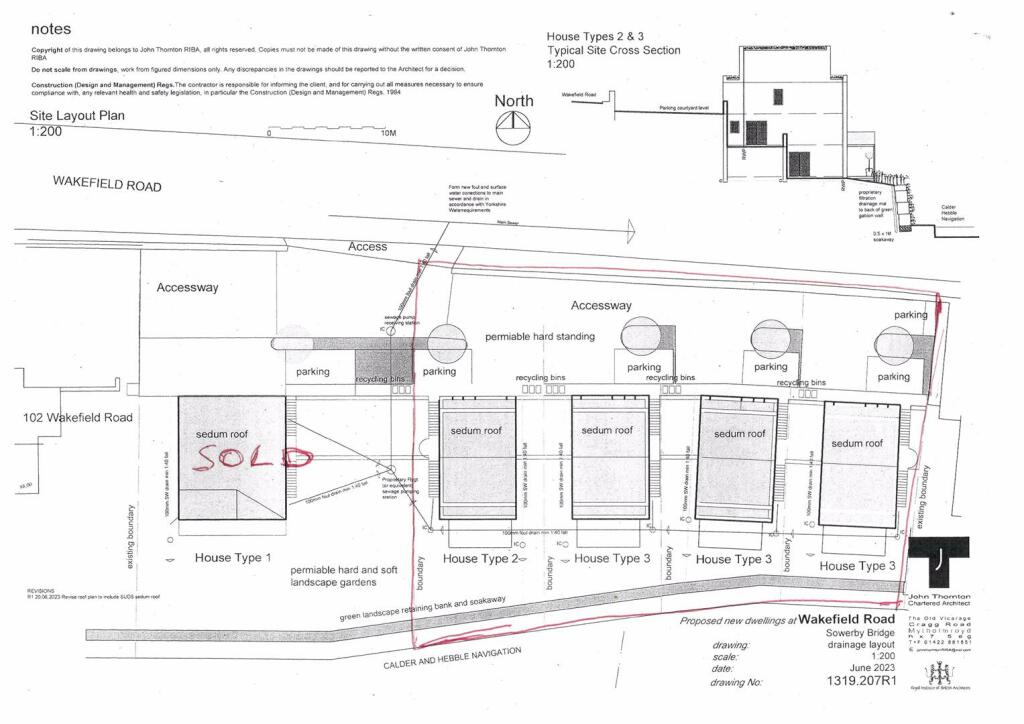
An excellent opportunity to purchase this single building land with full planning permission for an executive detached property in this highly desirable residential location overlooking the Norland Hillside. The present planning permission is for 5 executive detached four bedroomed family homes ...
Property Oracle says ..
This listing presents an opportunity to acquire a plot of land in Copley, Calderdale, with full planning permission for the construction of five executive four-bedroom detached houses. The site is located on Wakefield Road, overlooking the Norland Hillside, offering a desirable residential setting. Proximity to Sowerby Bridge provides access to transportation via the nearby train station. Several schools with good Ofsted ratings are within a reasonable distance, making it potentially attractive to families. The absence of readily available data on price per square foot for similar land plots with planning permission makes a precise assessment of value challenging. The price point of £150,000 seems broadly in line with other land plots in the area with similar planning permissions. However, prospective buyers should conduct thorough due diligence to confirm all aspects of the planning permission, potential construction costs, and the overall financial viability of the project. The overall absence of current structure means buyers will be solely purchasing the land development potential.
Therefore, we give this property 4 / 10. *Disclaimer: This is our option and does constitute a recommendation or financial advice. Do your own research. *
- Price
- 6
- Condition
- 1
- Location
- 7
- Land
- 5
- Bedrooms
- 0
- Bathrooms
- 0
- Sqft (est)
- 839.59
The heatmap indicates the level of crime in the area. The color of the heatmap indicates the crime severity and recency.
Metrics Year-on-Year
- Average area value
- 225,000.00 £Increased by 3.20 %
- Est sale value
- 155,324.15 £Decreased by 26.29 %
- Average area rental value
- 809.00 £/moIncreased by 21.84 %
- Est letting value
- 0.00 £/mo
- Est rental Yield
- 4.31 %Increased by 18.08 %
- Crime Rate
- 3.00 %Unchanged by 0.00 %
Agent Activity
Property @ Kemp and Co created the listing.
Nearby Schools
| Name | Type | Ofsted | Distance |
|---|---|---|---|
| Bolton Brow Primary Academy | Academy Converter | Good | 0.35 KM |
| Compass Community School Willow Park | Other Independent Special School | 0.62 KM | |
| Christ Church Cofe Va Junior School, Sowerby Bridge | Voluntary Aided School | Good | 0.93 KM |
| Warley Road Primary Academy | Academy Converter | 0.94 KM | |
| Norland Ce School | Voluntary Controlled School | Good | 1.31 KM |
Images
Nearby Streets
| Name | Average Price | Average Sqft | Distance |
|---|---|---|---|
| Upper Bolton Brow | £ 170,000 | 0 | 0.00 KM |
| Park Street | £ 0 | 0 | 0.00 KM |
| Milner Royd Lane | £ 700,000 | 0 | 0.00 KM |
| Woodland Drive | £ 325,000 | 0 | 0.00 KM |
| Nelson Place | £ 0 | 0 | 0.00 KM |
Nearby Transport
| Name | NLC | TLC | Distance |
|---|---|---|---|
| Sowerby Bridge | 8527 | SOW | 1.26 KM |
| Halifax | 8411 | HFX | 4.83 KM |
| Mytholmroyd | 8526 | MYT | 9.68 KM |
| Slaithwaite | 8450 | SWT | 9.78 KM |
Nearby Listings
| Address | Price | Type | Score | Distance |
|---|---|---|---|---|
| Plot 5 Land At Wakefield Road, Copley | £ 150,000 | BUY | 4 / 10 | 0.00 KM |
| Plot 2 Land At Wakefield Road, Copley | £ 150,000 | BUY | 4 / 10 | 0.01 KM |
| Back Wakefield Road, Sowerby Bridge | £ 95,000 | BUY | 6 / 10 | 0.03 KM |
| 18 High Fields, Wakefield Road, Sowerby Bridge | £ 190,000 | BUY | 5 / 10 | 0.13 KM |
| Pye Nest Road, Halifax | £ 269,995 | BUY | 7 / 10 | 0.14 KM |
Nearby Properties
| Address | Price | Distance |
|---|---|---|
| 90 Wakefield Road | £ 137,500 | 0.01 KM |
| 86 Wakefield Road | £ 105,000 | 0.01 KM |
| 56 Wakefield Road | £ 150,000 | 0.01 KM |
| 66 Wakefield Road | £ 65,000 | 0.01 KM |
| 94 Wakefield Road | £ 132,000 | 0.01 KM |