RI
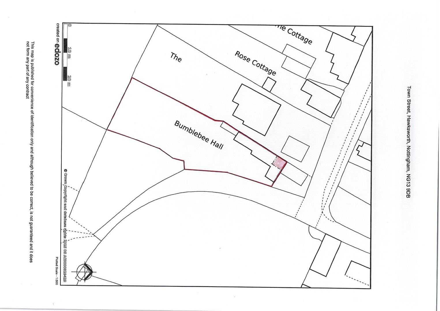
Town Street, Hawksworth
By Richard Watkinson & Partners
£ 542,500
Reviews
3 out of 5 stars
Richard Watkinson & Partners says ..
***PRICE GUIDE £400,000 - £425,000*** Bumble Bee Hall comprises a 19th Century three bedroomed cottage standing in 1040 sq.m (0.257 acre) or thereabouts within the Hawksworth Conservation Area. There is a range of domestic outbuildings and the property stands in established gardens. Central hea...
Property Oracle says ..
Therefore, we give this property 6 / 10. *Disclaimer: This is our option and does constitute a recommendation or financial advice. Do your own research. *
- Price
- 7
- Condition
- 4
- Location
- 7
- Land
- 7
- Bedrooms
- 3
- Bathrooms
- 1
- Sqft (est)
- 1,137.75
The heatmap indicates the level of crime in the area. The color of the heatmap indicates the crime severity and recency.
Metrics Year-on-Year
- Average area value
- 307,772.00 £Increased by 19.74 %
- Est sale value
- 595,043.25 £Increased by 90.88 %
- Average area rental value
- 871.00 £/moDecreased by 8.32 %
- Est letting value
- 1,137.75 £/moUnchanged by 0.00 %
- Est rental Yield
- 3.40 %Decreased by 23.42 %
- Crime Rate
- 1,941.00 %Unchanged by 0.00 %
from 257,040.00 £
from 311,743.50 £
from 950.00 £/mo
from 1,137.75 £/mo
from 4.44 %
from 1,941.00 %
Agent Activity
Richard Watkinson & Partners created the listing.
Nearby Schools
| Name | Type | Ofsted | Distance |
|---|---|---|---|
| Orston Primary School | Community School | Outstanding | 3.42 KM |
| Flintham Primary School | Academy Converter | 3.56 KM | |
| Archbishop Cranmer Church Of England Academy | Academy Converter | 4.05 KM | |
| All Saints Anglican/Methodist Primary School | Voluntary Aided School | Good | 4.79 KM |
| Carnarvon Primary School | Community School | Outstanding | 7.35 KM |
Images
Nearby Streets
| Name | Average Price | Average Sqft | Distance |
|---|---|---|---|
| New Road | £ 274,000 | 0 | 0.00 KM |
| Hawksworth Lane | £ 0 | 0 | 0.00 KM |
| Manor Arms Place | £ 0 | 0 | 0.00 KM |
Nearby Transport
| Name | NLC | TLC | Distance |
|---|---|---|---|
| Aslockton | 6233 | ALK | 4.04 KM |
| Elton And Orston | 6238 | ELO | 4.16 KM |
| Bingham | 6235 | BIN | 8.69 KM |
| Fiskerton | 6351 | FSK | 9.50 KM |
| Rolleston | 6353 | ROL | 9.58 KM |
Nearby Listings
| Address | Price | Type | Score | Distance |
|---|---|---|---|---|
| Town Street, Hawksworth | £ 400,000 | BUY | Unknown | 0.00 KM |
| Town Street, Hawksworth | £ 542,500 | BUY | 6 / 10 | 0.00 KM |
| Town Street, Hawksworth | £ 230,000 | BUY | Unknown | 0.17 KM |
| New Road, Hawksworth | £ 274,000 | BUY | 7 / 10 | 0.20 KM |
| Main Road, Hawksworth, Nottingham | £ 375,000 | BUY | 7 / 10 | 0.27 KM |
Nearby Properties
| Address | Price | Distance |
|---|---|---|
| Magnolia Cottage | £ 450,000 | 0.04 KM |
| 13 Bowland Road | £ 250,000 | 0.04 KM |
| School House | £ 320,000 | 0.04 KM |
| The Old Post Office | £ 405,000 | 0.04 KM |
| Hawksworth Place | £ 1,300,000 | 0.07 KM |