Kelsall, Nr Tarporley, Cheshire, CW6
By Jackson-Stops
£ 50,000
Reviews
2 out of 5 stars
Jackson-Stops says ..
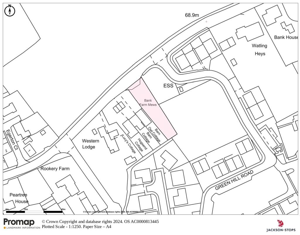
POTENTIAL BUILDING PLOT - 0.15 ACRES OF LAND ON CHESTER ROAD, KELSALL OF INTEREST TO DEVELOPERS, INVESTORS & SPECULATORS DESCRIPTION The plot comprises a rather neglected parcel of ground fronting Chester Road and extending to 0.15 acres. It is accessed from C...
Property Oracle says ..
This listing from Jackson-Stops is for a plot of land in Kelsall, Cheshire, near Tarporley. The property offers 0.15 acres (approx) of land. The location is a key positive; Kelsall is a sought-after village with good schools, and the property benefits from relative proximity to transport links. The immediate surroundings seem predominantly residential, with houses of varying sizes and styles in close proximity. The land itself is currently undeveloped, appearing overgrown in the provided aerial photographs. Therefore, the land requires significant preparation before any construction can begin. There is no information regarding planning permission or any existing permissions, which is a crucial factor in determining the true value of the property. The asking price reflects the opportunity to develop the land, however, significant further investment is required to bring the land to a usable state and then construct a building. Ultimately, the value is dependent upon a successful planning application and the market conditions when development is undertaken. The absence of detailed information on plot size and other crucial factors makes it difficult to provide a full and accurate market valuation. The available data implies that, despite the good location and sizeable plot, significant work and investment are required to realize the property’s potential. Nearby property prices vary considerably, ranging from smaller properties to substantial family homes; therefore, a direct comparison to determine if the asking price is exceptional is difficult. For any investor to make an informed decision, further investigation into potential development plans and planning permissions, plus a professional survey of the land, are advised.
Therefore, we give this property 5 / 10. *Disclaimer: This is our option and does constitute a recommendation or financial advice. Do your own research. *
- Price
- 6
- Condition
- 4
- Location
- 7
- Land
- 6
- Bedrooms
- 0
- Bathrooms
- 0
The heatmap indicates the level of crime in the area. The color of the heatmap indicates the crime severity and recency.
Metrics Year-on-Year
- Average area value
- 727,500.00 £Increased by 42.01 %
- Average area rental value
- 1,350.00 £/moDecreased by 7.28 %
- Est rental Yield
- 2.23 %Decreased by 34.60 %
- Crime Rate
- 0.00 %
Agent Activity
Jackson-Stops created the listing.
Nearby Schools
| Name | Type | Ofsted | Distance |
|---|---|---|---|
| Kelsall Primary And Nursery School | Academy Converter | 0.46 KM | |
| Ashton Hayes Primary School | Community School | Good | 2.98 KM |
| Duddon St Peter'S Cofe Primary School | Voluntary Controlled School | Good | 3.58 KM |
| Delamere Cofe Primary Academy | Academy Converter | 5.25 KM | |
| Utkinton St Paul'S Cofe Primary School | Academy Converter | 5.35 KM |
Images
Nearby Streets
| Name | Average Price | Average Sqft | Distance |
|---|---|---|---|
| Green Hill Road | £ 0 | 0 | 0.00 KM |
| Blossom Close | £ 0 | 0 | 0.00 KM |
| Kelsall FP 13 | £ 350,000 | 0 | 0.00 KM |
| The Paddocks | £ 780,000 | 0 | 0.00 KM |
| Black Hatch Lane | £ 0 | 0 | 0.00 KM |
Nearby Transport
| Name | NLC | TLC | Distance |
|---|---|---|---|
| Mouldsworth | 2158 | MLD | 3.09 KM |
| Delamere | 2306 | DLM | 6.23 KM |
| Helsby | 2149 | HSB | 9.50 KM |
| Frodsham | 2284 | FRD | 9.83 KM |
Nearby Listings
| Address | Price | Type | Score | Distance |
|---|---|---|---|---|
| Kelsall, Nr Tarporley, Cheshire, CW6 | £ 50,000 | BUY | 5 / 10 | 0.00 KM |
| Chester Road, Kelsall, CW6 | £ 450,000 | BUY | 7 / 10 | 0.03 KM |
| Flat Lane, Kelsall | £ 2,000,000 | BUY | 6 / 10 | 0.10 KM |
| Green Hill Road, Kelsall | £ 350,000 | BUY | 8 / 10 | 0.14 KM |
| Green Hill Road, Kelsall, CW6 | £ 450,000 | BUY | 7 / 10 | 0.18 KM |
Nearby Properties
| Address | Price | Distance |
|---|---|---|
| Rushton House | £ 145,000 | 0.28 KM |
| 12 Firecrest Way | £ 325,000 | 0.28 KM |
| Beech House | £ 655,000 | 0.28 KM |
| The Coach House | £ 472,000 | 0.32 KM |
| Gable Cottage | £ 169,000 | 0.32 KM |