Shaw & Co says ..
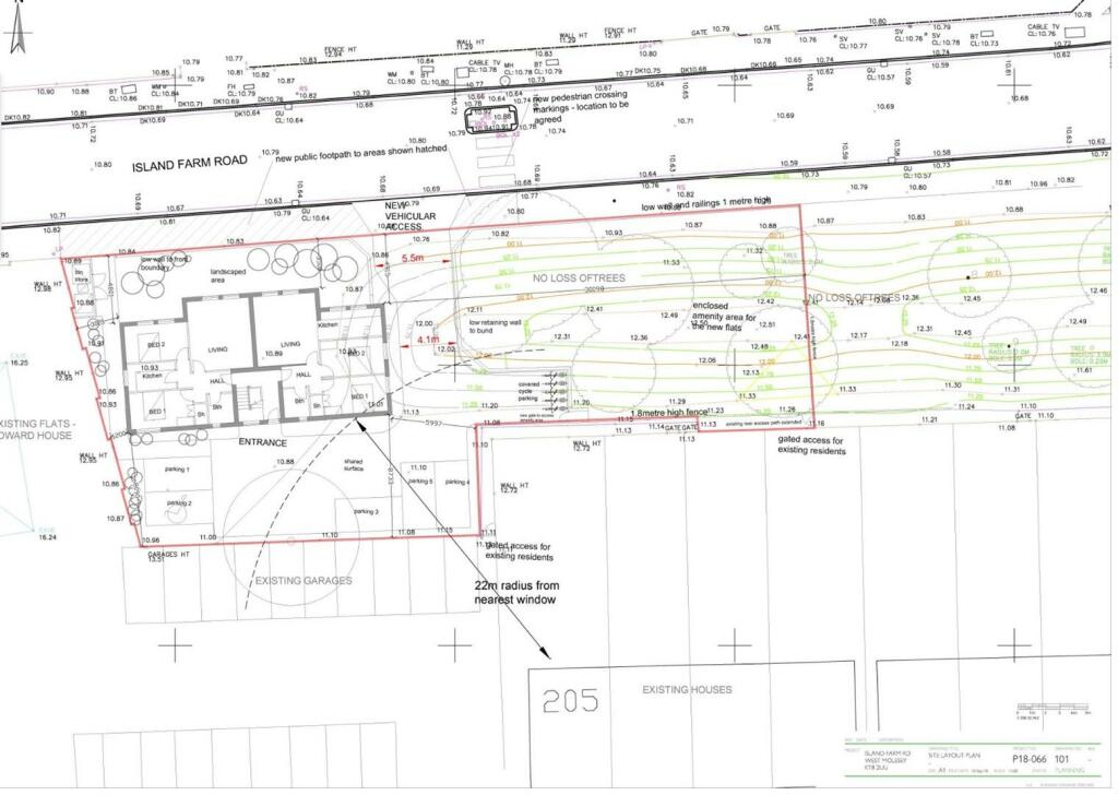
Freehold Parcel of land with Planning Permission Granted to construct a 2-story building comprising of 5 x 2 bedroom flats with 5 allocated parking spaces. Located in a residential area, close to a buzzing employment area comprising of offices and light industrial units. Close to Hampton Court Pa...
Property Oracle says ..
This listing is for a freehold plot of land on Island Farm Road, West Molesey, with planning permission granted to construct a two-story building comprising five two-bedroom flats with allocated parking. The absence of existing structures means the property is essentially a development opportunity. The location is relatively convenient, with several train stations within a short distance offering commuting links, and proximity to schools adds to its family-oriented aspect. The planning permission is a key feature, allowing for the development of several residential units with potential for rental income. However, the absence of square footage for the land and the planned development limits the analysis of the value proposition, as does the absence of data for features such as building materials and finish specifications. The lack of existing property details makes it difficult to provide a detailed evaluation of its current condition other than its undeveloped state. Potential buyers should perform their own comprehensive market research, architectural review of the approved plans, and cost analysis to fully assess the risks and rewards of this development project.
Therefore, we give this property 4 / 10. *Disclaimer: This is our option and does constitute a recommendation or financial advice. Do your own research. *
- Price
- 6
- Condition
- 1
- Location
- 7
- Land
- 5
- Bedrooms
- 0
- Bathrooms
- 0
The heatmap indicates the level of crime in the area. The color of the heatmap indicates the crime severity and recency.
Metrics Year-on-Year
- Average area value
- 673,557.00 £Increased by 18.30 %
- Average area rental value
- 1,645.00 £/moDecreased by 14.28 %
- Est rental Yield
- 2.93 %Decreased by 27.48 %
- Crime Rate
- 11.00 %Unchanged by 0.00 %
Agent Activity
Shaw & Co marked this listing as sold.
Shaw & Co created the listing.
Nearby Schools
| Name | Type | Ofsted | Distance |
|---|---|---|---|
| Three Rivers Sure Start Children'S Centre | Children's Centre | 0.55 KM | |
| Chandlers Field Primary School | Foundation School | Good | 0.74 KM |
| The Beech House School | Other Independent School | Good | 0.89 KM |
| Hurst Park Primary School | Community School | Good | 1.21 KM |
| Fox Grove School | Free Schools Special | 1.30 KM |
Images
Nearby Streets
| Name | Average Price | Average Sqft | Distance |
|---|---|---|---|
| Knights Close | £ 0 | 0 | 0.00 KM |
| Bessborough Works | £ 0 | 0 | 0.00 KM |
| Windsor Avenue | £ 0 | 0 | 0.00 KM |
| Lower Sunbury Road | £ 70,000 | 0 | 0.00 KM |
| Lavender Court | £ 0 | 0 | 0.00 KM |
Nearby Transport
| Name | NLC | TLC | Distance |
|---|---|---|---|
| Hampton | 5560 | HMP | 2.24 KM |
| Hersham | 5590 | HER | 2.64 KM |
| Esher | 5558 | ESH | 3.13 KM |
| Hampton Court | 5561 | HMC | 3.77 KM |
| Thames Ditton | 5610 | THD | 4.18 KM |
Nearby Listings
| Address | Price | Type | Score | Distance |
|---|---|---|---|---|
| Island Farm Road, West Molesey | £ 650,000 | BUY | 4 / 10 | 0.00 KM |
| Fleet Close, West Molesey | £ 675,000 | BUY | 8 / 10 | 0.03 KM |
| Fleet Close, West Molesey, KT8 | £ 685,000 | BUY | 8 / 10 | 0.10 KM |
| Fleetside, West Molesey, KT8 | £ 465,000 | BUY | Unknown | 0.12 KM |
| St. Barnabas Gardens, West Molesey, KT8 | £ 525,000 | BUY | 7 / 10 | 0.17 KM |
Nearby Properties
| Address | Price | Distance |
|---|---|---|
| 228 Fleetside | £ 450,000 | 0.11 KM |
| 226 Fleetside | £ 340,000 | 0.11 KM |
| 200 Fleetside | £ 366,000 | 0.11 KM |
| 215 Fleetside | £ 195,000 | 0.11 KM |
| 227 Fleetside | £ 470,000 | 0.11 KM |