Jim Raw Rees & Co says ..
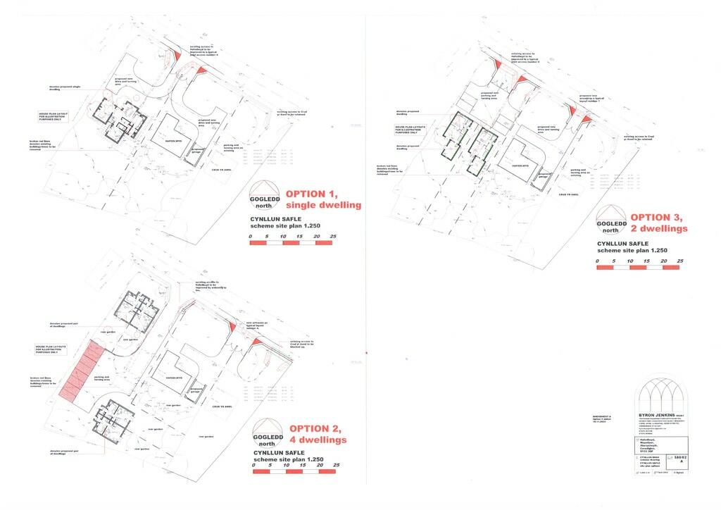
Imposing 3 /4 bed house in exceptionally large grounds. Potential building PLOTS to garden. The house is in need of modernisation. Convenient sought after location.
Property Oracle says ..
Therefore, we give this property 5 / 10. *Disclaimer: This is our option and does constitute a recommendation or financial advice. Do your own research. *
- Price
- 2
- Condition
- 3
- Location
- 7
- Land
- 8
- Bedrooms
- 3
- Bathrooms
- 1
- Sqft (est)
- 614.75
The heatmap indicates the level of crime in the area. The color of the heatmap indicates the crime severity and recency.
Metrics Year-on-Year
- Average area value
- 398,765.00 £Decreased by 0.35 %
- Est sale value
- 243,441.00 £Increased by 20.73 %
- Average area rental value
- 1,263.00 £/moIncreased by 3.52 %
- Est letting value
- 614.75 £/moUnchanged by 0.00 %
- Est rental Yield
- 3.80 %Increased by 3.83 %
- Crime Rate
- 0.00 %
from 400,154.00 £
from 201,638.00 £
from 1,220.00 £/mo
from 614.75 £/mo
from 3.66 %
from 0.00 %
Agent Activity
Jim Raw Rees & Co created the listing.
Nearby Schools
| Name | Type | Ofsted | Distance |
|---|---|---|---|
| Ysgol Penglais | Welsh Establishment | 0.30 KM | |
| Ysgol Gyfun Penweddig | Welsh Establishment | 1.43 KM | |
| Yr Ysgol Gymraeg | Welsh Establishment | 1.72 KM | |
| Ysgol Padarn Sant | Welsh Establishment | 1.99 KM | |
| Ysgol Comins Coch | Welsh Establishment | 1.99 KM |
Images
Nearby Streets
| Name | Average Price | Average Sqft | Distance |
|---|---|---|---|
| Primrose Hill | £ 0 | 0 | 0.00 KM |
| Rhiw Brialli / Primrose Hill | £ 0 | 0 | 0.00 KM |
| Lon Llewellyn | £ 850,000 | 0 | 0.00 KM |
| Heol-y-Bont | £ 0 | 0 | 0.00 KM |
| Ffordd Sulien | £ 0 | 0 | 0.00 KM |
Nearby Transport
| Name | NLC | TLC | Distance |
|---|---|---|---|
| Aberystwyth | 4303 | AYW | 2.80 KM |
| Borth | 4304 | BRH | 8.31 KM |
Nearby Listings
| Address | Price | Type | Score | Distance |
|---|---|---|---|---|
| Waun Fawr, Aberystwyth | £ 650,000 | BUY | 5 / 10 | 0.00 KM |
| Heol Alun, Waunfawr, Aberystwyth, Ceredigion, SY23 | £ 320,000 | BUY | 6 / 10 | 0.14 KM |
| Waun Fawr, Aberystwyth | £ 359,500 | BUY | Unknown | 0.28 KM |
| Maeshendre, Waunfawr, Aberystwyth, Ceredigion, SY23 | £ 359,950 | BUY | 6 / 10 | 0.29 KM |
| Maeshendre, Waun Fawr | £ 279,950 | BUY | Unknown | 0.31 KM |
Nearby Properties
| Address | Price | Distance |
|---|---|---|
| 9 Pant Y Rhos | £ 250,000 | 0.10 KM |
| 11 Pant Y Rhos | £ 285,000 | 0.10 KM |
| 30 Heol Alun | £ 195,000 | 0.19 KM |
| 39 Heol Alun | £ 205,000 | 0.19 KM |
| 8 Heol Alun | £ 280,000 | 0.19 KM |