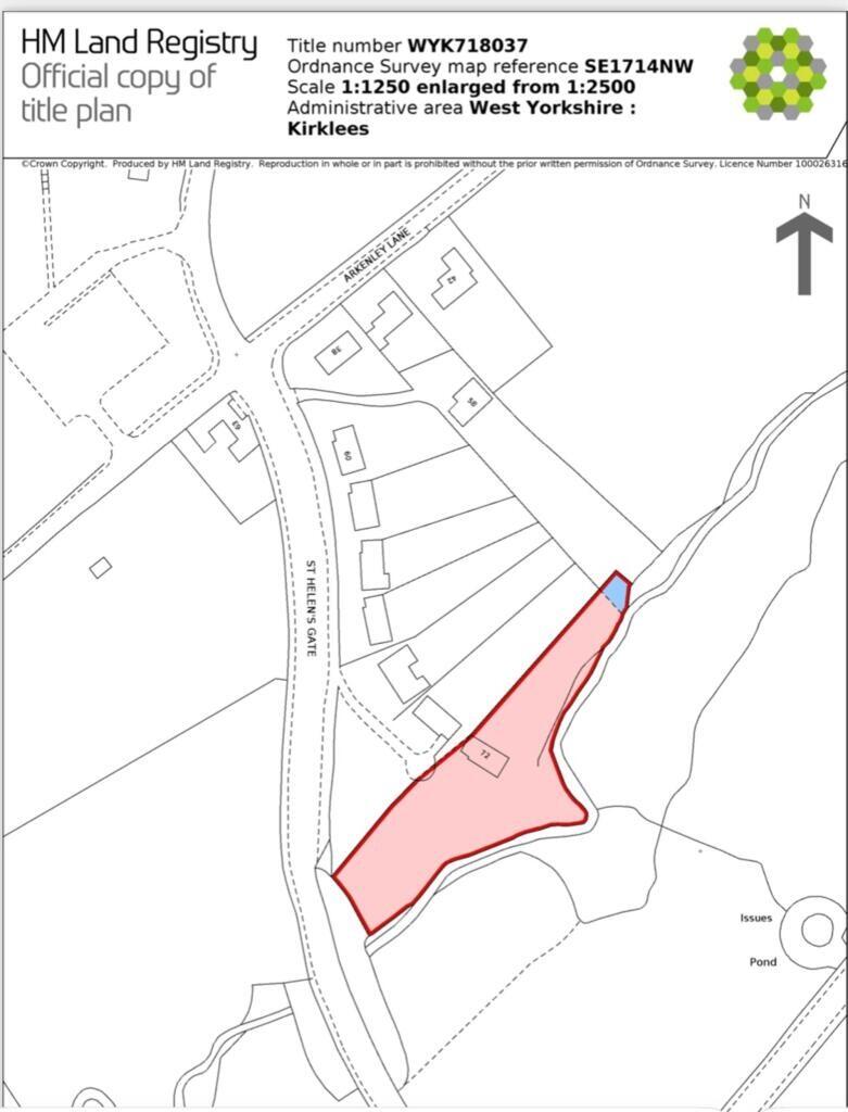
St. Helens Gate, Huddersfield
Yorkshire's Finest logo

St. Helens Gate, Huddersfield

By Yorkshire's Finest

£ 875,000

Reviews

3 out of 5 stars

Yorkshire's Finest says ..

Nestled in a prime spot on St. Helens Gate, this elegant four-bedroom Georgian-style home offers peace and privacy beside a gently flowing stream. Stylishly presented, it features a high-spec kitchen, two reception rooms, a cloakroom, and utility. The principal suite boasts a dressing area and en...

Property Oracle says ..

Therefore, we give this property 7 / 10. *Disclaimer: This is our option and does constitute a recommendation or financial advice. Do your own research. *

Price
6
Condition
8
Location
8
Land
9
Bedrooms
4
Bathrooms
3

The heatmap indicates the level of crime in the area. The color of the heatmap indicates the crime severity and recency.

Metrics Year-on-Year

Average area value
267,583.00 £
Decreased by 12.45 %
from 305,642.00 £
Average area rental value
1,292.00 £/mo
Increased by 62.31 %
from 796.00 £/mo
Est rental Yield
5.79 %
Increased by 84.98 %
from 3.13 %
Crime Rate
4.00 %
Unchanged by 0.00 %
from 4.00 %

Agent Activity

  • Yorkshire's Finest created the listing.

Nearby Schools

NameTypeOfstedDistance
King James'S SchoolAcademy ConverterGood0.28 KM
Southgate SchoolCommunity Special SchoolGood0.96 KM
Almondbury Children'S CentreChildren's Centre Linked Site0.98 KM
All Hallows' Cofe (Va) Primary SchoolVoluntary Aided SchoolGood1.32 KM
Hill View AcademyAcademy Sponsor Led1.44 KM

Images

72SHGHudds-130625... 72SHGHudds-130625... 72SHGHudds-130625... 72SHGHudds-130625... 72SHGHudds-130625... 72SHGHudds-130625... 72SHGHudds-130625... 72SHGHudds-130625... 72SHGHudds-130625... 72SHGHudds-130625... 72SHGHudds-130625... 72SHGHudds-130625... 72SHGHudds-130625... 72SHGHudds-130625... 72SHGHudds-130625... 72SHGHudds-130625... 72SHGHudds-130625... 72SHGHudds-130625... 72SHGHudds-130625... 72SHGHudds-130625... 72SHGHudds-130625... 72SHGHudds-130625... 72SHGHudds-130625... 72SHGHudds-130625... 72SHGHudds-130625... 72SHGHudds-130625... 72SHGHudds-130625... 72SHGHudds-130625... 72SHGHudds-130625... 72SHGHudds-130625... 72SHGHudds-130625... 72SHGHudds-130625... 72SHGHudds-130625... 72SHGHudds-130625... 72SHGHudds-130625... 72SHGHudds-130625... 72SHGHudds-130625... 72SHGHudds-130625... 72SHGHudds-130625... IMG_24_0000

Nearby Streets

NameAverage PriceAverage SqftDistance
Quarry Hill £ 000.00 KM
Fleming Court £ 000.00 KM

Nearby Transport

NameNLCTLCDistance
Stocksmoor8451SSM4.21 KM
Deighton8441DHN4.69 KM
Brockholes8429BHS4.73 KM
Honley8436HOY5.00 KM
Huddersfield8437HUD5.41 KM

Nearby Listings

AddressPriceTypeScoreDistance
St. Helens Gate, Huddersfield £ 875,000BUY7 / 100.00 KM
St. Helens Gate, Huddersfield £ 850,000BUYUnknown0.12 KM
St. Helens Gate, Huddersfield, HD4 £ 400,000BUY5 / 100.19 KM
St. Helens Gate, Huddersfield, HD4 £ 380,000BUY7 / 100.20 KM
Spring Court, Almondbury, Huddersfield £ 1,600,000BUY7 / 100.30 KM

Nearby Properties

AddressPriceDistance
66 St Helens Gate £ 530,0000.00 KM
63 St Helens Gate £ 475,0000.00 KM
64 St Helens Gate £ 397,5000.00 KM
42a St Helens Gate £ 268,0000.31 KM
47 St Helens Gate £ 600,0000.31 KM