Hamilton Reeves says ..
A Rare Opportunity - Prime Development Plot. An exceptional opportunity to acquire a desirable plot of land in a sought-after location-perfect for developers, self-builders, or investors.
Property Oracle says ..
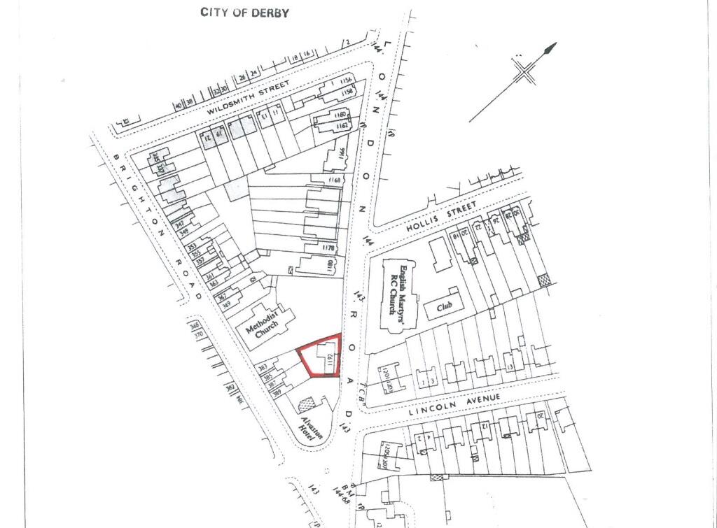
This property is a development opportunity located on London Road in Alvaston, Derby. The site is currently vacant land with potential for residential development. The area has a mix of housing types and is relatively close to local amenities and transport links. The nearby schools include Wyndham Spencer Academy (Outstanding Ofsted rating) and several others within a reasonable distance. The average house price in the area is significantly higher than the list price of this land, suggesting potential for profit if developed appropriately. However, the lack of specific details regarding plot size and development potential makes a definitive assessment of the price challenging. Further investigation into planning permissions and potential build costs is recommended before making an investment decision.
Therefore, we give this property 7 / 10. *Disclaimer: This is our option and does constitute a recommendation or financial advice. Do your own research. *
- Price
- 0
- Condition
- 0
- Location
- 7
- Land
- 0
- Bedrooms
- 8
- Bathrooms
- 0
The heatmap indicates the level of crime in the area. The color of the heatmap indicates the crime severity and recency.
Metrics Year-on-Year
- Average area value
- 358,333.00 £Increased by 6.25 %
- Average area rental value
- 1,283.00 £/moDecreased by 3.24 %
- Est rental Yield
- 4.30 %Decreased by 8.90 %
- Crime Rate
- 25.00 %Unchanged by 0.00 %
Agent Activity
Hamilton Reeves created the listing.
Nearby Schools
| Name | Type | Ofsted | Distance |
|---|---|---|---|
| Wyndham Spencer Academy | Academy Sponsor Led | Outstanding | 0.65 KM |
| Oakwood Infant And Nursery School | Community School | Good | 1.07 KM |
| Oakwood Junior School | Academy Converter | 1.10 KM | |
| Boulton Children'S Centre | Children's Centre | 1.15 KM | |
| Lakeside Primary Academy | Academy Sponsor Led | 1.23 KM |
Images
Nearby Streets
| Name | Average Price | Average Sqft | Distance |
|---|---|---|---|
| Lichfield Drive | £ 140,000 | 0 | 0.00 KM |
| Quintin Road | £ 0 | 0 | 0.00 KM |
| Patterdale Road | £ 0 | 0 | 0.00 KM |
| Meadow Lane | £ 130,000 | 0 | 0.00 KM |
| Wyndham Street | £ 0 | 0 | 0.00 KM |
Nearby Transport
| Name | NLC | TLC | Distance |
|---|---|---|---|
| Spondon | 1699 | SPO | 2.94 KM |
| Derby | 1823 | DBY | 3.82 KM |
| Peartree | 1687 | PEA | 4.35 KM |
Nearby Listings
| Address | Price | Type | Score | Distance |
|---|---|---|---|---|
| Brighton Road, Alvaston | £ 135,000 | BUY | 6 / 10 | 0.07 KM |
| London Road, Alvaston, Derby | £ 390,000 | BUY | Unknown | 0.09 KM |
| London Road, Derby, DE24 | £ 350,000 | BUY | 8 / 10 | 0.09 KM |
| London Road, Alvaston, Derby, DE24 | £ 595,000 | BUY | 5 / 10 | 0.09 KM |
| Trent Street, Alvaston | £ 135,000 | BUY | 6 / 10 | 0.12 KM |
Nearby Properties
| Address | Price | Distance |
|---|---|---|
| 1178 London Road | £ 150,000 | 0.01 KM |
| 1170 London Road | £ 127,000 | 0.02 KM |
| 1171 London Road | £ 350,000 | 0.09 KM |
| 1167 London Road | £ 115,000 | 0.09 KM |
| 1203 London Road | £ 101,000 | 0.09 KM |