Land adjacent to 29, Gaskell Street, Newport, Gwent, NP19 0GH
By Sage & Co Auctions
£ 13,500
Reviews
2 out of 5 stars
Sage & Co Auctions says ..
For sale by online, unconditional auction on 04/04/2024 18:00
Property Oracle says ..
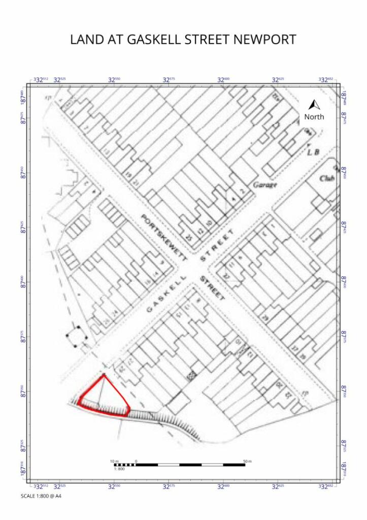
This listing is for a plot of land adjacent to 29 Gaskell Street in the Liswerry area of Newport. The property is being sold via online auction. The provided image reveals an overgrown and somewhat neglected plot. The plot requires significant clearance and preparation work before it can be developed. Nearby properties and streets show a range of property types and values, indicating a mixed residential area. The proximity to Newport city center and transport links presents a potential benefit to potential buyers. There is a primary school and other amenities nearby. The lack of information regarding the precise size of the plot makes it difficult to assess the true value. The listing price of £13,500 is considerably lower than the average house prices in the vicinity and must be considered in light of the significant works required and lack of property specific details. The property is of interest to buyers looking for a development project. The sale information suggests this is an unconditional auction, so buyers should be aware of the risks associated with such a purchase.
Therefore, we give this property 4 / 10. *Disclaimer: This is our option and does constitute a recommendation or financial advice. Do your own research. *
- Price
- 7
- Condition
- 3
- Location
- 4
- Land
- 5
- Bedrooms
- 0
- Bathrooms
- 0
The heatmap indicates the level of crime in the area. The color of the heatmap indicates the crime severity and recency.
Metrics Year-on-Year
- Average area value
- 360,833.00 £Decreased by 13.57 %
- Average area rental value
- 1,178.00 £/moIncreased by 8.17 %
- Est rental Yield
- 3.92 %Increased by 25.24 %
- Crime Rate
- 3.00 %Unchanged by 0.00 %
Agent Activity
Sage & Co Auctions marked this listing as sold.
Sage & Co Auctions created the listing.
Nearby Schools
| Name | Type | Ofsted | Distance |
|---|---|---|---|
| St Patrick'S R.C. Primary School | Welsh Establishment | 0.88 KM | |
| Catch22 Include Wales | Welsh Establishment | 0.92 KM | |
| Sporting Chance | Welsh Establishment | 0.94 KM | |
| Eveswell Primary School | Welsh Establishment | 0.97 KM | |
| St Joseph'S R.C. Primary School | Welsh Establishment | 1.35 KM |
Images
Nearby Streets
| Name | Average Price | Average Sqft | Distance |
|---|---|---|---|
| Gaskell Street | £ 150,000 | 0 | 0.00 KM |
| Argosy Close | £ 230,000 | 0 | 0.00 KM |
| Bilston Street | £ 0 | 0 | 0.00 KM |
| Dudley Street | £ 178,333 | 0 | 0.00 KM |
| Telford Street | £ 142,500 | 0 | 0.00 KM |
Nearby Transport
| Name | NLC | TLC | Distance |
|---|---|---|---|
| Newport (South Wales) | 3674 | NWP | 2.98 KM |
| Pye Corner | 1663 | PYE | 6.94 KM |
| Cwmbran | 3738 | CWM | 9.57 KM |
Nearby Listings
| Address | Price | Type | Score | Distance |
|---|---|---|---|---|
| Land adjacent to 29, Gaskell Street, Newport, Gwent, NP19 0GH | £ 13,500 | BUY | 4 / 10 | 0.00 KM |
| Land adjacent to 29, Gaskell Street, Newport | £ 35,000 | BUY | 5 / 10 | 0.00 KM |
| Amelia Way, Newport, NP19 | £ 110,000 | BUY | 6 / 10 | 0.04 KM |
| Land next to, 29 Gaskell Street, Newport, NP19 0GH | £ 29,000 | BUY | 5 / 10 | 0.05 KM |
| Amelia Way, Newport | £ 130,000 | BUY | 7 / 10 | 0.05 KM |
Nearby Properties
| Address | Price | Distance |
|---|---|---|
| 22 Gaskell Street | £ 75,000 | 0.04 KM |
| 17 Gaskell Street | £ 105,000 | 0.04 KM |
| 24 Gaskell Street | £ 99,950 | 0.04 KM |
| 18 Gaskell Street | £ 110,000 | 0.05 KM |
| 19 Gaskell Street | £ 173,000 | 0.05 KM |