Kedleston Road, Allestree, Derby
By Gadsby Nichols
£ 650,000
Reviews
3 out of 5 stars
Gadsby Nichols says ..
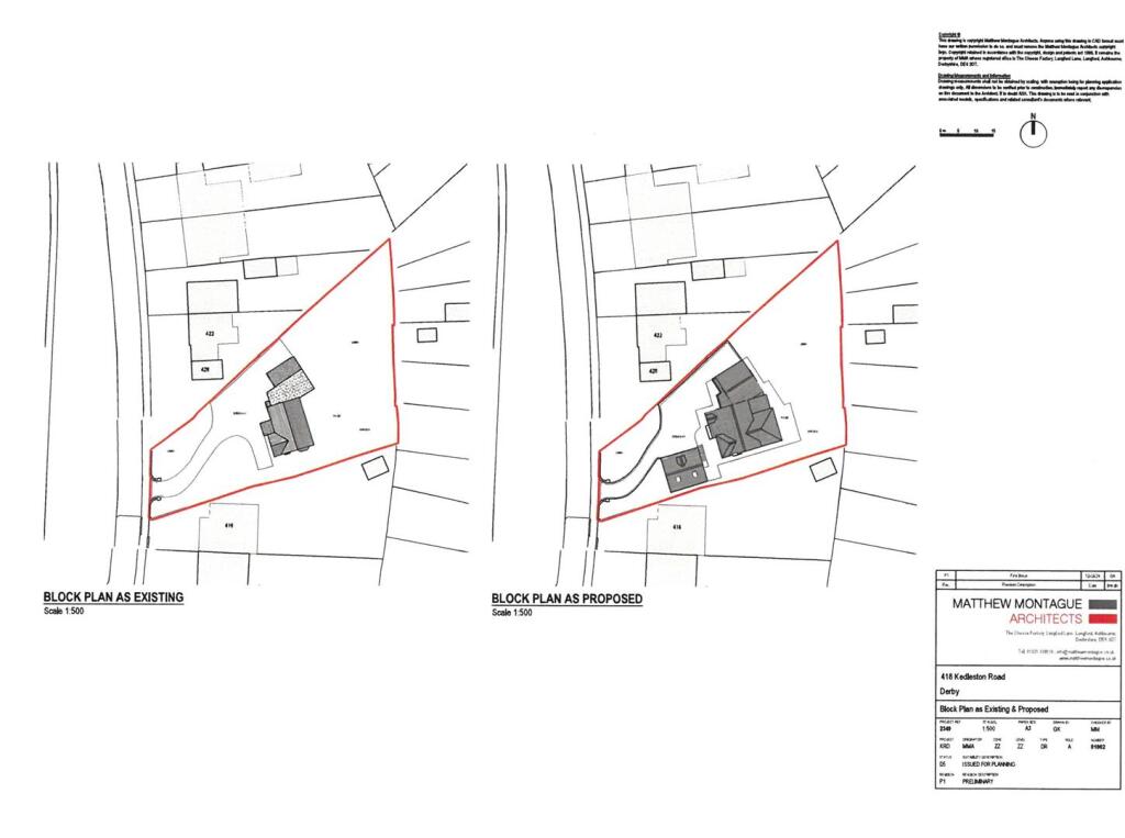
AN IMPRESSIVE, THREE-DOUBLE-BEDROOMED DETACHED residence, offering an exciting opportunity for structural extension, with planning permission granted in February 2025, enjoying mature gardens of approx. 0.33-acres, in the highly desirable suburb of Allestree. The main photo is an artists impress...
Property Oracle says ..
Therefore, we give this property 6 / 10. *Disclaimer: This is our option and does constitute a recommendation or financial advice. Do your own research. *
- Price
- 4
- Condition
- 5
- Location
- 8
- Land
- 9
- Bedrooms
- 4
- Bathrooms
- 2
- Sqft (est)
- 1,275.00
The heatmap indicates the level of crime in the area. The color of the heatmap indicates the crime severity and recency.
Metrics Year-on-Year
- Average area value
- 366,359.00 £Decreased by 0.33 %
- Est sale value
- 521,475.00 £Decreased by 2.62 %
- Average area rental value
- 899.00 £/moDecreased by 15.82 %
- Est letting value
- 1,275.00 £/moUnchanged by 0.00 %
- Est rental Yield
- 2.94 %Decreased by 15.76 %
- Crime Rate
- 6.00 %Unchanged by 0.00 %
from 367,581.00 £
from 535,500.00 £
from 1,068.00 £/mo
from 1,275.00 £/mo
from 3.49 %
from 6.00 %
Agent Activity
Gadsby Nichols created the listing.
Nearby Schools
| Name | Type | Ofsted | Distance |
|---|---|---|---|
| Lawn Primary School | Academy Converter | Outstanding | 0.82 KM |
| University Of Derby | Higher Education Institutions | Good | 0.86 KM |
| Allestree Woodlands School | Academy Converter | Requires improvement | 1.27 KM |
| Newton'S Walk | Pupil Referral Unit | Good | 1.43 KM |
| Markeaton Primary School | Community School | Good | 1.58 KM |
Images
Nearby Streets
| Name | Average Price | Average Sqft | Distance |
|---|---|---|---|
| Lawn Avenue | £ 0 | 0 | 0.00 KM |
| Beech Gardens | £ 0 | 0 | 0.00 KM |
| Rosemount Court | £ 0 | 0 | 0.00 KM |
| Crabtree Hill Drive | £ 0 | 0 | 0.00 KM |
| Springfield Drive | £ 0 | 0 | 0.00 KM |
Nearby Transport
| Name | NLC | TLC | Distance |
|---|---|---|---|
| Derby | 1823 | DBY | 5.24 KM |
| Duffield | 1691 | DFI | 5.36 KM |
| Peartree | 1687 | PEA | 6.07 KM |
| Belper | 1679 | BLP | 9.24 KM |
Nearby Listings
| Address | Price | Type | Score | Distance |
|---|---|---|---|---|
| Kedleston Road, Allestree, Derby | £ 650,000 | BUY | 6 / 10 | 0.00 KM |
| Amber Road, Allestree, Derby | £ 310,000 | BUY | 7 / 10 | 0.14 KM |
| Amber Road, Allestree | £ 260,000 | BUY | Unknown | 0.14 KM |
| Ashover Road, Allestree | £ 300,000 | BUY | 7 / 10 | 0.14 KM |
| Amber Road, Allestree, Derby, DE22 | £ 375,000 | BUY | 8 / 10 | 0.14 KM |
Nearby Properties
| Address | Price | Distance |
|---|---|---|
| 370 Kedleston Road | £ 235,000 | 0.07 KM |
| 392 Kedleston Road | £ 226,000 | 0.07 KM |
| 390 Kedleston Road | £ 360,000 | 0.07 KM |
| 356 Kedleston Road | £ 385,000 | 0.07 KM |
| 424 Kedleston Road | £ 249,950 | 0.07 KM |