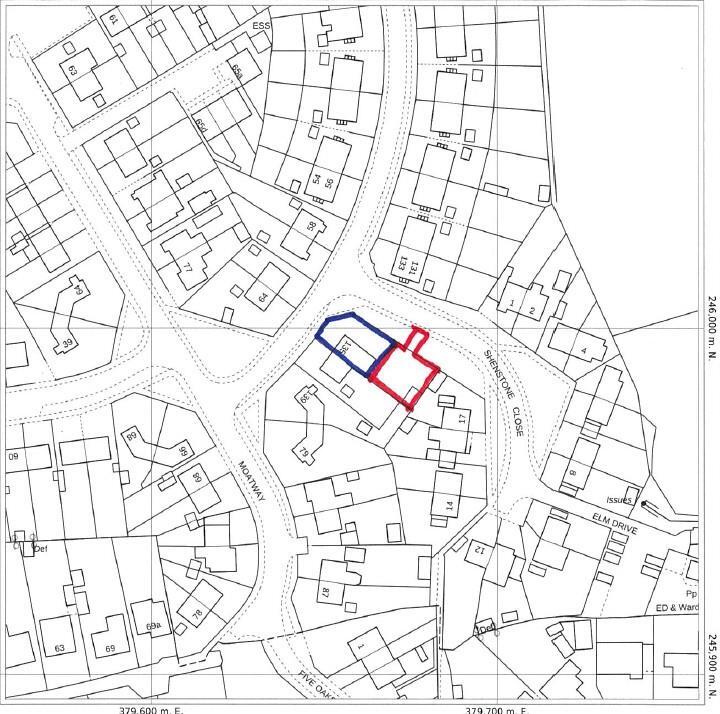
Residential Building Plot Adjacent To, 135 Moat Crescent, Malvern, Worcestershire
By John Goodwin FRICS
£ 80,000
Reviews
2 out of 5 stars
John Goodwin FRICS says ..
A Residential Building Plot In A Convenient Location Close To Local Amenities With Full Planning Permission To Erect A Two Bedroom Detached House With Kitchen Dining Room, Separate Living Room, Two Bedrooms, Downstairs WC And Family Bathroom. Shared Vehicular Access.
Property Oracle says ..
This is a building plot located in a residential area of Malvern. The plot requires full construction. The location is reasonably good, with schools and transport links nearby. The asking price seems fair for a plot of this size and location. The plot offers the opportunity to build a detached property with a garden.
Therefore, we give this property 5 / 10. *Disclaimer: This is our option and does constitute a recommendation or financial advice. Do your own research. *
- Price
- 9
- Condition
- 1
- Location
- 6
- Land
- 7
- Bedrooms
- 2
- Bathrooms
- 1
The heatmap indicates the level of crime in the area. The color of the heatmap indicates the crime severity and recency.
Metrics Year-on-Year
- Average area value
- 215,000.00 £Decreased by 24.89 %
- Average area rental value
- 620.00 £/moDecreased by 33.26 %
- Est rental Yield
- 3.46 %Decreased by 11.05 %
- Crime Rate
- 27.00 %Unchanged by 0.00 %
Agent Activity
John Goodwin FRICS created the listing.
Nearby Schools
| Name | Type | Ofsted | Distance |
|---|---|---|---|
| Sunshine Children'S Centre | Children's Centre | 0.93 KM | |
| Great Malvern Primary School | Academy Converter | Good | 1.15 KM |
| The Chase | Academy Converter | Good | 1.73 KM |
| Madresfield Cofe Primary School | Academy Converter | 1.83 KM | |
| Malvern St James | Other Independent School | 2.15 KM |
Images
Nearby Streets
| Name | Average Price | Average Sqft | Distance |
|---|---|---|---|
| Avon Close | £ 450,000 | 0 | 0.00 KM |
| Oak Crescent | £ 0 | 0 | 0.00 KM |
| Mayfield Road | £ 0 | 0 | 0.00 KM |
| Lower Chase Road | £ 0 | 0 | 0.00 KM |
| Goldcrest Close | £ 0 | 0 | 0.00 KM |
Nearby Transport
| Name | NLC | TLC | Distance |
|---|---|---|---|
| Great Malvern | 4892 | GMV | 2.27 KM |
| Malvern Link | 4884 | MVL | 2.78 KM |
| Colwall | 4876 | CWL | 7.46 KM |
Nearby Listings
| Address | Price | Type | Score | Distance |
|---|---|---|---|---|
| Residential Building Plot Adjacent To, 135 Moat Crescent, Malvern, Worcestershire | £ 80,000 | BUY | 5 / 10 | 0.00 KM |
| Moat Way, Malvern | £ 265,000 | BUY | Unknown | 0.13 KM |
| Moat Way, Malvern, Worcestershire, WR14 | £ 240,000 | BUY | 7 / 10 | 0.26 KM |
| Monnow Close, Malvern | £ 365,000 | BUY | 7 / 10 | 0.30 KM |
| Windrush Crescent, WR14 | £ 340,000 | BUY | 6 / 10 | 0.31 KM |
Nearby Properties
| Address | Price | Distance |
|---|---|---|
| 135 Moat Crescent | £ 134,500 | 0.01 KM |
| 32 Moat Crescent | £ 220,000 | 0.06 KM |
| 60 Moat Crescent | £ 181,555 | 0.06 KM |
| 52 Moat Crescent | £ 89,500 | 0.06 KM |
| 64 Moat Crescent | £ 70,000 | 0.06 KM |