WW Estates says ..
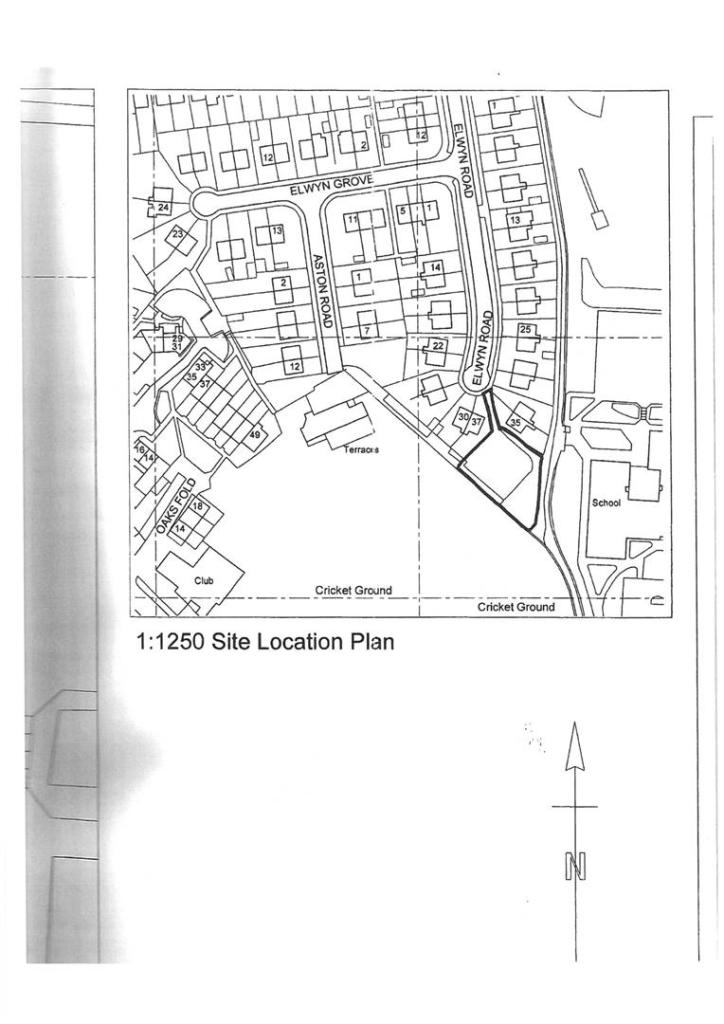
A superb area of land with outline planning for 2 x 4 bedroom detached homes. Totally over 8000 sq ft, this plot will be in high demand. Situated at the top of this popular cul de sac, the plot is ideally located to the local school and local amenities Please see the plans online and you...
Property Oracle says ..
This listing presents a unique opportunity for developers or investors. The property consists of a large plot of land (over 8000 sqft) with outline planning permission to build two 4-bedroom detached homes. This offers substantial potential for profit upon completion of the build and sale of the resulting properties. However, buyers need to be prepared for significant upfront investment in clearing the land which is currently littered with waste and debris, as evidenced in the photos. The location, while not considered a prime area of Bradford, is relatively convenient, with several schools and transportation links at a reasonable distance. Nearby property prices suggest the land itself is fairly priced, but buyers should account for the cleanup and development costs before purchasing. The absence of information concerning the exact sq ft and plot size of the land itself in the initial listing presents a potential concern and may cause delays for any investor. Overall, the opportunity is promising, but the significant preparatory work needed and lack of precise details in the original data should be seriously considered by potential purchasers.
Therefore, we give this property 4 / 10. *Disclaimer: This is our option and does constitute a recommendation or financial advice. Do your own research. *
- Price
- 6
- Condition
- 2
- Location
- 4
- Land
- 7
- Bedrooms
- 4
- Bathrooms
- 2
The heatmap indicates the level of crime in the area. The color of the heatmap indicates the crime severity and recency.
Metrics Year-on-Year
- Average area value
- 856,250.00 £Increased by 15.74 %
- Average area rental value
- 2,000.00 £/moDecreased by 15.25 %
- Est rental Yield
- 2.80 %Decreased by 26.89 %
- Crime Rate
- 3.00 %Unchanged by 0.00 %
Agent Activity
WW Estates created the listing.
Nearby Schools
| Name | Type | Ofsted | Distance |
|---|---|---|---|
| Bowling Park Primary School | Community School | Good | 0.16 KM |
| The Fountain School | Other Independent School | Requires improvement | 0.40 KM |
| St Stephen'S Cofe Primary School | Voluntary Aided School | Requires improvement | 0.49 KM |
| Primary Pupil Referral Unit | Pupil Referral Unit | Good | 0.55 KM |
| Woodroyd Children'S Centre | Children's Centre | 0.58 KM |
Images
Nearby Streets
| Name | Average Price | Average Sqft | Distance |
|---|---|---|---|
| Birch Way | £ 0 | 0 | 0.00 KM |
| Birch Close | £ 145,000 | 0 | 0.00 KM |
| Steerforth Close | £ 0 | 0 | 0.00 KM |
| Silverdale Road | £ 0 | 0 | 0.00 KM |
| Springwood Gardens | £ 0 | 0 | 0.00 KM |
Nearby Transport
| Name | NLC | TLC | Distance |
|---|---|---|---|
| Bradford Interchange | 8345 | BDI | 1.46 KM |
| Bradford Forster Square | 8346 | BDQ | 2.12 KM |
| Low Moor | 8416 | LMR | 3.14 KM |
| Frizinghall | 8556 | FZH | 5.13 KM |
| Shipley (Yorks) | 8347 | SHY | 6.62 KM |
Nearby Listings
| Address | Price | Type | Score | Distance |
|---|---|---|---|---|
| Elwyn Road, Bradford, BD5 7HN | £ 150,000 | BUY | 4 / 10 | 0.00 KM |
| St. Stephens Road, Bradford | £ 110,000 | BUY | 6 / 10 | 0.14 KM |
| New Cross Street, West Bowling, Bradford, BD5 | £ 150,000 | BUY | 6 / 10 | 0.19 KM |
| Spring Mill Street, Bradford | £ 70,000 | BUY | 4 / 10 | 0.20 KM |
| 8 Clough Street, , BD5 | £ 92,000 | BUY | 4 / 10 | 0.24 KM |
Nearby Properties
| Address | Price | Distance |
|---|---|---|
| 27 Elwyn Road | £ 88,500 | 0.03 KM |
| 19 Elwyn Road | £ 80,000 | 0.03 KM |
| 15 Elwyn Road | £ 225,000 | 0.03 KM |
| 16 Elwyn Road | £ 85,000 | 0.03 KM |
| 1 Elwyn Road | £ 70,500 | 0.03 KM |