Choice Properties says ..
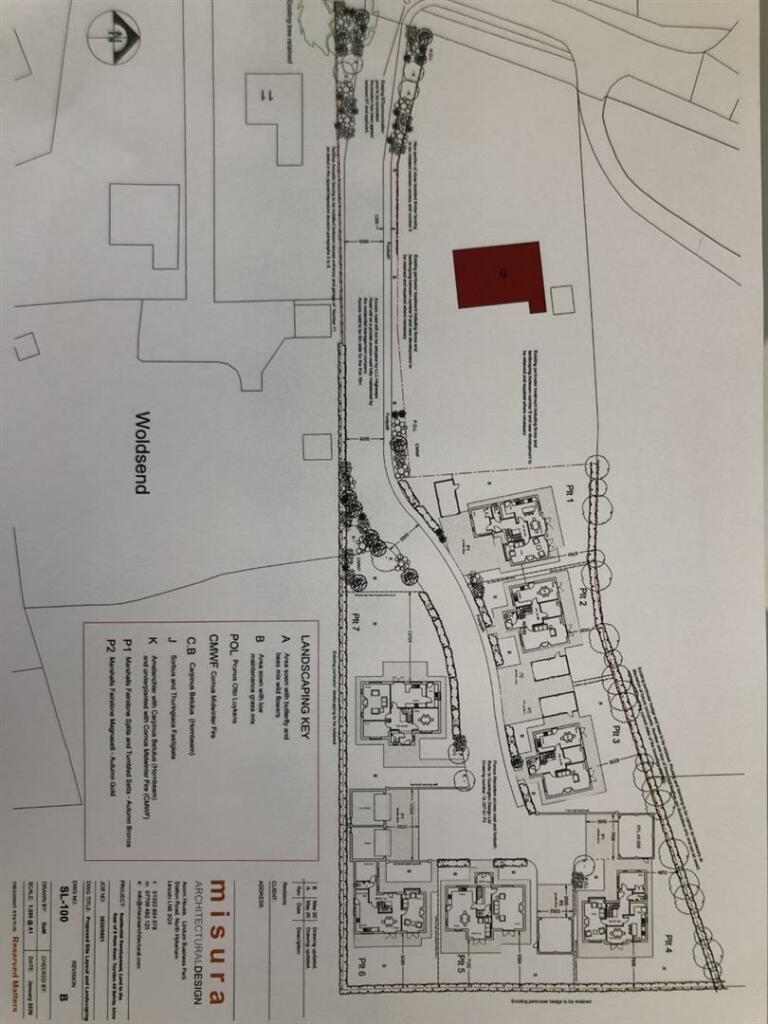
Choice Properties are delighted to bring to market a fantastic opportunity for 7 self build plots situated in the picturesque village of Toynton All Saints. The 7 serviced plots have the option to be purchased individually or as a whole. Placed in an idyllic position overlooking the rolling Linco...
Property Oracle says ..
This listing presents a plot of land for sale in Halton Holegate, Lincolnshire, marketed by Choice Properties. The property is situated in a desirable village setting with relatively easy access to highly-rated schools, including Toynton All Saints Primary School and several outstanding schools in nearby Spilsby. The land appears to be level and prepared, suitable for a new build project. While the exact size of the plot isn’t provided, visual evidence suggests a reasonable land area. The images demonstrate access via a private driveway and show an otherwise undeveloped plot. The listing price of £120,000 appears reasonable when considering comparable land sales in the area, but a precise evaluation requires more detailed plot size information and an analysis of recent local transactions for comparable plots. The absence of nearby public transportation should be taken into account by potential buyers. This property is primarily suitable for someone seeking to build their own home or invest in a plot for future development. Further inquiries with the estate agent will likely be necessary to fully assess the plot size and confirm services availability. Potential buyers should also obtain a survey to evaluate the condition of the land itself.
Therefore, we give this property 6 / 10. *Disclaimer: This is our option and does constitute a recommendation or financial advice. Do your own research. *
- Price
- 7
- Condition
- 4
- Location
- 7
- Land
- 6
- Bedrooms
- 0
- Bathrooms
- 0
The heatmap indicates the level of crime in the area. The color of the heatmap indicates the crime severity and recency.
Metrics Year-on-Year
- Average area value
- 282,222.00 £Decreased by 4.78 %
- Average area rental value
- 1,223.00 £/moIncreased by 4.80 %
- Est rental Yield
- 5.20 %Increased by 10.17 %
- Crime Rate
- 70.00 %Unchanged by 0.00 %
Agent Activity
Choice Properties created the listing.
Nearby Schools
| Name | Type | Ofsted | Distance |
|---|---|---|---|
| Toynton All Saints Primary School | Community School | Good | 0.72 KM |
| The Eresby School, Spilsby | Academy Special Converter | Outstanding | 2.03 KM |
| Woodlands Academy | Academy Special Converter | Outstanding | 2.46 KM |
| Spilsby, Horncastle And Tattershall Children'S Centre | Children's Centre | 2.57 KM | |
| King Edward Vi Academy | Academy Sponsor Led | Good | 2.63 KM |
Images
Nearby Listings
| Address | Price | Type | Score | Distance |
|---|---|---|---|---|
| Main Road, Toynton All Saints, Spilsby, PE23 | £ 149,950 | BUY | 7 / 10 | 0.02 KM |
| Main Road, Toynton All Saints, Spilsby | £ 800,000 | BUY | 7 / 10 | 0.15 KM |
| Chestnut Cottage, 23 Main Road, Toynton All Saints | £ 265,000 | BUY | 7 / 10 | 0.19 KM |
| 7.40 Acres of Land | £ 105,000 | BUY | 6 / 10 | 0.39 KM |
| Chapel Lane, Toynton All Saints, PE23 | £ 499,950 | BUY | 7 / 10 | 0.39 KM |
Nearby Properties
| Address | Price | Distance |
|---|---|---|
| 36 Main Road | £ 365,000 | 0.15 KM |
| 30 Main Road | £ 210,000 | 0.15 KM |
| Top Field | £ 430,000 | 0.15 KM |
| Oakly Lodge | £ 276,000 | 0.15 KM |
| 2 Main Road | £ 108,000 | 0.15 KM |