RI
Station Road, Rimington, Clitheroe, BB7
By Richard Turner & Son
£ 75,000
Richard Turner & Son says ..
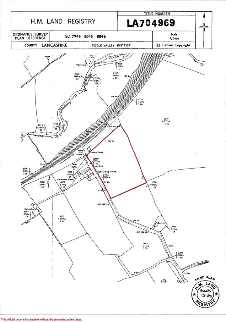
A genuine and handy size piece of grassland well located in the village of Rimington within the Ribble Valley. The land has good prospects for the farmer, lifestyle and investor buyers alike.Viewing: can be carried out during daylight hours with the benefit of these particulars to hand....
- Bedrooms
- 0
- Bathrooms
- 0
The heatmap indicates the level of crime in the area. The color of the heatmap indicates the crime severity and recency.
Metrics Year-on-Year
- Average area value
- 303,449.00 £Decreased by 56.50 %
- Average area rental value
- 1,319.00 £/moIncreased by 38.84 %
- Est rental Yield
- 5.22 %Increased by 220.25 %
- Crime Rate
- 0.00 %
from 697,511.00 £
from 950.00 £/mo
from 1.63 %
from 0.00 %
Agent Activity
Richard Turner & Son created the listing.
Nearby Schools
| Name | Type | Ofsted | Distance |
|---|---|---|---|
| Bolton By Bowland Church Of England Voluntary Aided Primary School | Voluntary Aided School | Good | 3.97 KM |
| Gisburn Primary School | Community School | Outstanding | 5.20 KM |
| Bowland High | Academy Converter | Outstanding | 5.29 KM |
| Chatburn Church Of England Primary School | Voluntary Aided School | Outstanding | 5.55 KM |
| Grindleton Church Of England Voluntary Aided Primary School | Voluntary Aided School | Good | 6.57 KM |
Images
Nearby Listings
| Address | Price | Type | Score | Distance |
|---|---|---|---|---|
| Station Road, Rimington, Clitheroe, BB7 | £ 75,000 | BUY | Unknown | 0.00 KM |
| Station Road, Rimington, Clitheroe BB7 | £ 1,100,000 | BUY | Unknown | 0.22 KM |
| Rimington, Clitheroe, BB7 4DS | £ 850,000 | BUY | Unknown | 0.72 KM |
| Rimington, Clitheroe, Lancashire | £ 2,850,000 | BUY | 7 / 10 | 1.10 KM |
| Rimington, Clitheroe, BB7 | £ 2,850,000 | BUY | Unknown | 1.13 KM |
Nearby Properties
| Address | Price | Distance |
|---|---|---|
| The Tithe Barn | £ 550,000 | 0.22 KM |
| Kelrydding Cottage | £ 82,500 | 0.22 KM |
| Acorn Cottage | £ 570,000 | 0.58 KM |
| 12 Back Lane | £ 229,000 | 0.58 KM |
| Kembali | £ 602,500 | 0.58 KM |