RO
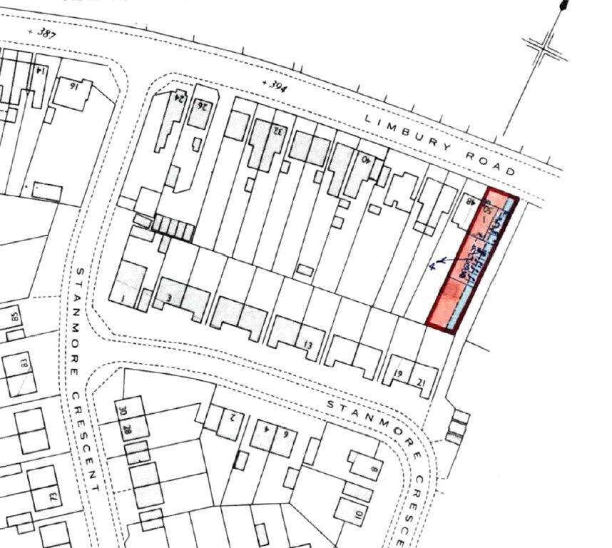
Building & Land Rear Of 50, Limbury Road, Luton
By Robinson & Hall Auctions
£ 25,000
Reviews
2 out of 5 stars
Robinson & Hall Auctions says ..
FOR SALE BY PUBLIC AUCTION & LIVESTREAM ON WEDNESDAY 25TH JUNE 2025
Property Oracle says ..
Therefore, we give this property 5 / 10. *Disclaimer: This is our option and does constitute a recommendation or financial advice. Do your own research. *
- Price
- 4
- Condition
- 0
- Location
- 7
- Land
- 6
- Bedrooms
- 0
- Bathrooms
- 0
- Sqft (est)
- 631.00
- Lot (est)
- 631.00
The heatmap indicates the level of crime in the area. The color of the heatmap indicates the crime severity and recency.
Metrics Year-on-Year
- Average area value
- 350,000.00 £Increased by 5.06 %
- Est sale value
- 237,887.00 £Increased by 13.55 %
- Average area rental value
- 1,400.00 £/moDecreased by 10.43 %
- Est letting value
- 631.00 £/moUnchanged by 0.00 %
- Est rental Yield
- 4.80 %Decreased by 14.74 %
- Crime Rate
- 8.00 %Unchanged by 0.00 %
from 333,132.00 £
from 209,492.00 £
from 1,563.00 £/mo
from 631.00 £/mo
from 5.63 %
from 8.00 %
Agent Activity
Robinson & Hall Auctions created the listing.
Nearby Schools
| Name | Type | Ofsted | Distance |
|---|---|---|---|
| Norton Road Primary School | Community School | Good | 0.35 KM |
| St Joseph'S Catholic Primary School | Voluntary Aided School | Good | 0.62 KM |
| The Meads Primary School | Community School | Good | 0.83 KM |
| Beechwood Primary School | Community School | Good | 0.99 KM |
| Flying Start North Children'S Centre | Children's Centre | 1.00 KM |
Images
Nearby Streets
| Name | Average Price | Average Sqft | Distance |
|---|---|---|---|
| Garden Court | £ 130,000 | 0 | 0.00 KM |
| Archway Road | £ 160,000 | 0 | 0.00 KM |
| Waller Avenue | £ 450,000 | 0 | 0.00 KM |
| Roman Road | £ 0 | 0 | 0.00 KM |
| All Saints Close | £ 300,000 | 0 | 0.00 KM |
Nearby Transport
| Name | NLC | TLC | Distance |
|---|---|---|---|
| Leagrave | 1534 | LEA | 1.08 KM |
| Luton | 1536 | LUT | 4.55 KM |
| Luton Airport Parkway | 3645 | LTN | 6.83 KM |
| Harlington (Bedfordshire) | 1533 | HLN | 8.28 KM |
Nearby Listings
| Address | Price | Type | Score | Distance |
|---|---|---|---|---|
| Building & Land Rear Of 50, Limbury Road, Luton | £ 25,000 | BUY | 5 / 10 | 0.00 KM |
| Limbury Road, Luton, Bedfordshire | £ 310,000 | BUY | 7 / 10 | 0.05 KM |
| Quilter Close, Luton | £ 185,000 | BUY | Unknown | 0.14 KM |
| Quilter Close, Leagrave, Luton, Bedfordshire, LU3 2LL | £ 175,000 | BUY | 5 / 10 | 0.14 KM |
| Quilter Close, LUTON, Bedfordshire, LU3 | £ 150,000 | BUY | 6 / 10 | 0.14 KM |
Nearby Properties
| Address | Price | Distance |
|---|---|---|
| 48 Limbury Road | £ 230,000 | 0.06 KM |
| 60 Limbury Road | £ 128,000 | 0.06 KM |
| 50c Limbury Road | £ 85,500 | 0.06 KM |
| 54 Limbury Road | £ 253,000 | 0.06 KM |
| 50b Limbury Road | £ 60,500 | 0.06 KM |