Colling Street, Ramsbottom, Bury, BL0
By JonSimon Estate Agents
£ 35,000
Reviews
2 out of 5 stars
JonSimon Estate Agents says ..
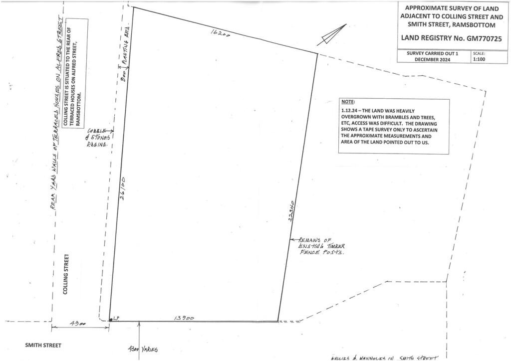
A rare opportunity to acquire a large plot of land, formerly allotments situated behind the row of terrace houses on Alfred Street and Bolton Road West. The land being offered for sale currently has no outline planning permission however, the land sits in a advantageous location...
Property Oracle says ..
This listing presents a plot of land located on Colling Street in Ramsbottom, Bury. The property is described as a large plot, formerly used as allotments. Currently, no planning permission is in place, representing a significant hurdle for potential buyers. The photographs show the land to be overgrown and in need of considerable clearing and preparation. The location itself is advantageous, situated in the desirable town of Ramsbottom which benefits from nearby excellent primary schools such as St Joseph’s and Hazlehurst, both rated ‘Outstanding’ by Ofsted. Ramsbottom also offers an appealing blend of rural and urban environments. The proximity to Bromley Cross train station (although not exceptionally close) provides a transport link. However, the lack of property-specific details regarding square footage and precise plot size limits a complete assessment. The surrounding area shows varying property values, ranging from smaller semi-detached houses to significantly larger detached houses, suggesting substantial local price variations and indicating the importance of securing planning permission for this plot to reach its full value. The absence of clear market comparable data for similar plots without planning permission makes it difficult to definitively determine the price’s fairness. A buyer should carefully weigh the investment risk associated with obtaining planning permission and development costs against the potential returns in this desirable location. A detailed planning application investigation is a necessity before any purchase decision.
Therefore, we give this property 5 / 10. *Disclaimer: This is our option and does constitute a recommendation or financial advice. Do your own research. *
- Price
- 7
- Condition
- 3
- Location
- 7
- Land
- 5
- Bedrooms
- 0
- Bathrooms
- 0
The heatmap indicates the level of crime in the area. The color of the heatmap indicates the crime severity and recency.
Metrics Year-on-Year
- Average area value
- 262,500.00 £Decreased by 15.55 %
- Average area rental value
- 1,063.00 £/moIncreased by 4.73 %
- Est rental Yield
- 4.86 %Increased by 23.98 %
- Crime Rate
- 2.00 %Unchanged by 0.00 %
Agent Activity
JonSimon Estate Agents created the listing.
Nearby Schools
| Name | Type | Ofsted | Distance |
|---|---|---|---|
| St Joseph'S Roman Catholic Primary School, Ramsbottom | Voluntary Aided School | Outstanding | 0.38 KM |
| Hazlehurst Community Primary School | Community School | Outstanding | 0.52 KM |
| St Andrew'S Church Of England Primary School, Ramsbottom | Voluntary Controlled School | Good | 0.56 KM |
| Emmanuel Holcombe Church Of England Primary School | Voluntary Aided School | Good | 0.80 KM |
| Woodhey High School | Academy Converter | 0.98 KM |
Images
Nearby Streets
| Name | Average Price | Average Sqft | Distance |
|---|---|---|---|
| Frederick Street | £ 0 | 0 | 0.00 KM |
| Mary Street | £ 0 | 0 | 0.00 KM |
| Hillside Road | £ 0 | 0 | 0.00 KM |
| Hazelhurst Close | £ 0 | 0 | 0.00 KM |
| Winifred Street | £ 0 | 0 | 0.00 KM |
Nearby Transport
| Name | NLC | TLC | Distance |
|---|---|---|---|
| Bromley Cross (Lancs) | 2697 | BMC | 9.98 KM |
Nearby Listings
| Address | Price | Type | Score | Distance |
|---|---|---|---|---|
| Colling Street, Ramsbottom, Bury, BL0 | £ 35,000 | BUY | 5 / 10 | 0.00 KM |
| Bolton Road West, Ramsbottom | £ 260,000 | BUY | 6 / 10 | 0.04 KM |
| Bolton Road West, Ramsbottom, Bury, BL0 | £ 235,000 | BUY | 6 / 10 | 0.05 KM |
| Alfred Street, Ramsbottom, Bury, BL0 | £ 192,500 | BUY | 5 / 10 | 0.06 KM |
| Alfred Street, Ramsbottom | £ 180,000 | BUY | 5 / 10 | 0.07 KM |
Nearby Properties
| Address | Price | Distance |
|---|---|---|
| 36 George Road | £ 98,000 | 0.06 KM |
| 30 George Road | £ 83,000 | 0.06 KM |
| 31 George Road | £ 122,500 | 0.06 KM |
| 47 George Road | £ 102,000 | 0.06 KM |
| 41 George Road | £ 98,950 | 0.06 KM |