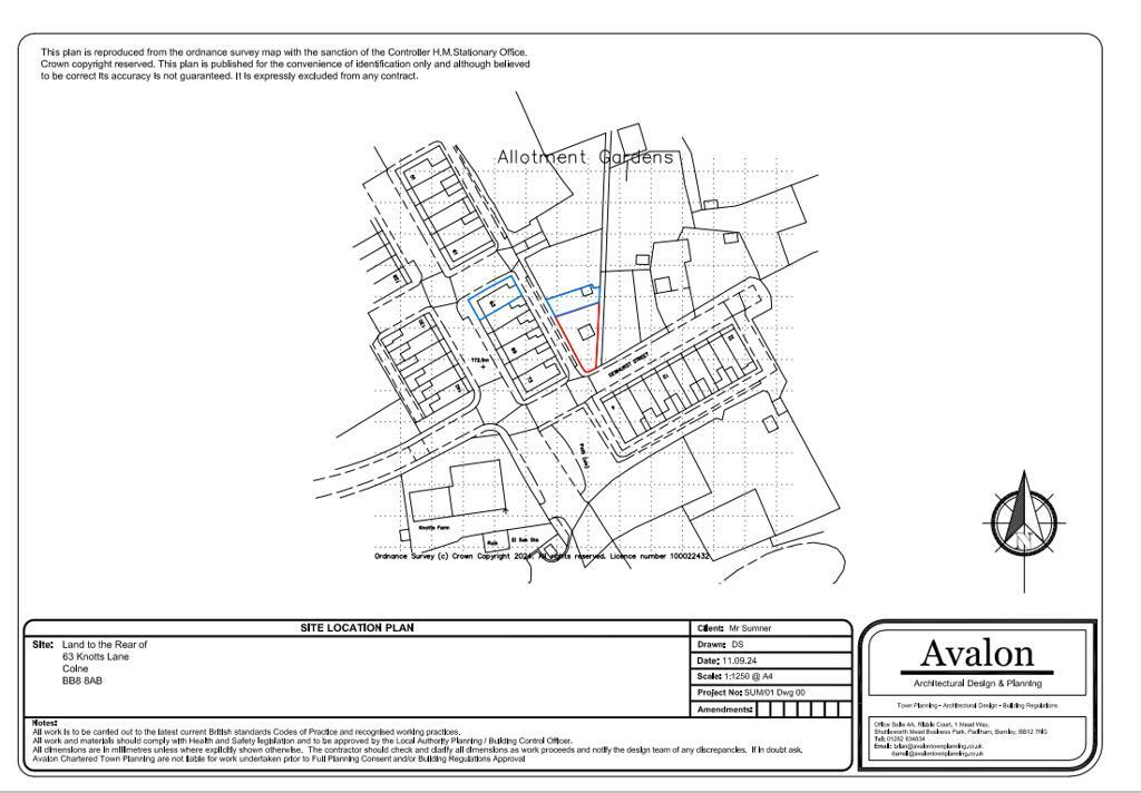
Land To Rear Of 63 Knotts Lane, Colne, Lancashire
By Petty Estate Agents Limited
£ 65,000
Reviews
2 out of 5 stars
Petty Estate Agents Limited says ..
An undulating triangular plot with recent planning in principle agreed for a single detached dwelling. The site does include a number of trees and hedgerows, seen as features within the street scene, the majority of which are to be maintained to enhance the landscaping and biodiversity of the pro...
Property Oracle says ..
This property listing presents a development opportunity in Colne, Lancashire. The key feature is the planning permission in principle for a single detached dwelling on the land. The land itself is an undulating triangular plot located at the rear of 63 Knotts Lane. It is evident from the images provided that the garden requires some tidying and the existing structures on the site need maintenance or potential removal.
The location is reasonably convenient, situated within walking distance of Colne town centre, a train station offering links to other parts of Lancashire, and several primary schools with good Ofsted ratings. While the immediate street might not be considered a highly desirable area of Colne, access to essential amenities makes it suitable for a small housing development.
The asking price seems reasonable when considering similar properties in the area and the potential value after development. However, potential buyers will need to factor in the costs associated with developing the land, including landscaping, clearing existing structures, and construction. The lack of precise square footage data for both the land and any potential new build restricts a more precise valuation. Overall, the property is suited for buyers looking for a development project with potential for profit, understanding the risks and costs associated with such a venture.
Therefore, we give this property 5 / 10. *Disclaimer: This is our option and does constitute a recommendation or financial advice. Do your own research. *
- Price
- 7
- Condition
- 4
- Location
- 7
- Land
- 5
- Bedrooms
- 0
- Bathrooms
- 0
The heatmap indicates the level of crime in the area. The color of the heatmap indicates the crime severity and recency.
Metrics Year-on-Year
- Average area value
- 190,541.00 £Increased by 16.43 %
- Average area rental value
- 580.00 £/moDecreased by 7.94 %
- Est rental Yield
- 3.65 %Decreased by 21.00 %
- Crime Rate
- 7.00 %Unchanged by 0.00 %
Agent Activity
Petty Estate Agents Limited created the listing.
Nearby Schools
| Name | Type | Ofsted | Distance |
|---|---|---|---|
| Colne Lord Street School | Academy Converter | 0.71 KM | |
| The Nook School | Other Independent School | Good | 0.75 KM |
| Colne Children'S Centre | Children's Centre | 0.97 KM | |
| West Street Community Primary School | Community School | Good | 1.17 KM |
| Colne Primet Primary School | Community School | Good | 1.28 KM |
Images
Nearby Streets
| Name | Average Price | Average Sqft | Distance |
|---|---|---|---|
| Green Road | £ 0 | 0 | 0.00 KM |
| Saint Andrews Close | £ 0 | 0 | 0.00 KM |
| Back Duke Street | £ 0 | 0 | 0.00 KM |
| Saint Georges Close | £ 185,000 | 0 | 0.00 KM |
| Princess Street | £ 135,000 | 0 | 0.00 KM |
Nearby Transport
| Name | NLC | TLC | Distance |
|---|---|---|---|
| Colne | 2562 | CNE | 0.76 KM |
| Nelson | 2565 | NEL | 4.49 KM |
| Brierfield | 2554 | BRF | 7.29 KM |
| Burnley Central | 2550 | BNC | 9.90 KM |
Nearby Listings
| Address | Price | Type | Score | Distance |
|---|---|---|---|---|
| Land To Rear Of 63 Knotts Lane, Colne, Lancashire | £ 65,000 | BUY | 5 / 10 | 0.00 KM |
| Atkinson Street, Colne, BB8 | £ 65,000 | BUY | 4 / 10 | 0.09 KM |
| Atkinson Street, Colne, Lancashire, BB8 | £ 60,000 | BUY | 5 / 10 | 0.10 KM |
| Old Brickworks Drive, Colne | £ 374,950 | BUY | Unknown | 0.12 KM |
| Knotts Lane, COLNE, Lancashire, BB8 | £ 77,000 | BUY | 5 / 10 | 0.12 KM |
Nearby Properties
| Address | Price | Distance |
|---|---|---|
| 73 Knotts Lane | £ 82,000 | 0.02 KM |
| 59 Knotts Lane | £ 96,500 | 0.02 KM |
| 53 Knotts Lane | £ 61,000 | 0.02 KM |
| 61 Knotts Lane | £ 67,500 | 0.02 KM |
| 57 Knotts Lane | £ 55,000 | 0.02 KM |